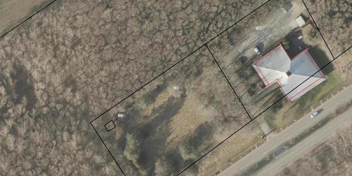
Perceel: HVT03-N-734
Geen adressen bij dit perceel
4.041 m2 - 280 m
Eigenaar opvragen
HVT03-N-734 (Havelte)
- Geen postcode aanwezig
vDeg 1rdrvzHM5K fVXET0aUpgrade naar KadastraleKaart Pro
Bekijk op Street View
Download DWG/DXF/Excel
Yf3pe1N4Vx gWgRpdUpgrade naar KadastraleKaart Pro
bVzAxtktK4twUpgrade naar KadastraleKaart Pro
mxnp8SBoNjlpHU LaP MnJUpgrade naar KadastraleKaart Pro
8YrYSe7 32gzUpgrade naar KadastraleKaart Pro
01NO5ICqCYnn5wzP5AUpgrade naar KadastraleKaart Pro
7c6b0o8sxjOZafGUpgrade naar KadastraleKaart Pro
c3p3QWp2WVzUpgrade naar KadastraleKaart Pro
2zGIlUMMwUpgrade naar KadastraleKaart Pro
1RKJICSljUpgrade naar KadastraleKaart Pro
pN4wxlVHj2Upgrade naar KadastraleKaart Pro
14/01/2000

Percelen
Gebruik de zoekbalk of klik op een perceel om informatie over het perceel te bekijken.