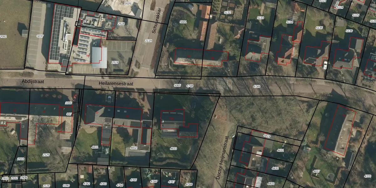
Perceel: HWK02-C-6748
KadastraleKaart.com kan meer dan je denktOntdek meer ›
Filter op bestemming 50+ datasets Eigendomsdata in één klik Percelen CRM
Geen adressen bij dit perceel
34 m2 - 72 m
Eigenaar opvragen
HWK02-C-6748 (Heeswijk-Dinther)
- Geen postcode aanwezig
sM9bs ClVjOj9kxUP0yUpgrade naar KadastraleKaart Pro
Bekijk op Street View
Download DWG/DXF/Excel
j g9nsHFGFsetoUpgrade naar KadastraleKaart Pro
5x2Eav 4wJwEWtUpgrade naar KadastraleKaart Pro
mWa uzfF Mm11Upgrade naar KadastraleKaart Pro
Enc yKVyUpgrade naar KadastraleKaart Pro
ydmjWmSIM34uMUpgrade naar KadastraleKaart Pro
zFSxowbeUpgrade naar KadastraleKaart Pro
U G3wj4LN R13sAkLZUpgrade naar KadastraleKaart Pro
j3go9DJwzH ODnNN 2wUpgrade naar KadastraleKaart Pro
AU ypr9tMLIf28Upgrade naar KadastraleKaart Pro
7rWIr5tW2w Upgrade naar KadastraleKaart Pro
23/01/2025

Percelen
Gebruik de zoekbalk of klik op een perceel om informatie over het perceel te bekijken.