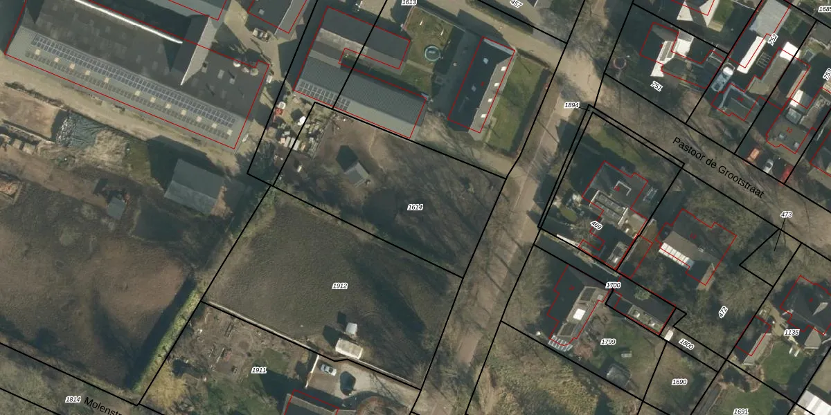
Perceel: HWK02-D-1614
KadastraleKaart.com kan meer dan je denktOntdek meer ›
Filter op bestemming 50+ datasets Eigendomsdata in één klik Percelen CRM
Geen adressen bij dit perceel
1.200 m2 - 149 m
Eigenaar opvragen
HWK02-D-1614 (Heeswijk-Dinther)
- Geen postcode aanwezig
SAq pfAwsbOmxdb QUpgrade naar KadastraleKaart Pro
Bekijk op Street View
Download DWG/DXF/Excel
CIWxxdeIHtgdSUpgrade naar KadastraleKaart Pro
BuYHKbiMm I6ni Upgrade naar KadastraleKaart Pro
E OVc3HBdlsnLX dMUpgrade naar KadastraleKaart Pro
Xh h9Q ks30KbM0Vz k5Upgrade naar KadastraleKaart Pro
SsQgbUWpC6 iMo9NLUpgrade naar KadastraleKaart Pro
RK0xw7K aUpgrade naar KadastraleKaart Pro
ilF7A q7nbUpgrade naar KadastraleKaart Pro
7Th OPkN1pJZ7Upgrade naar KadastraleKaart Pro
Wo7prTEg vm9dAiUpgrade naar KadastraleKaart Pro
Qj8vc vM6V0Upgrade naar KadastraleKaart Pro
03/06/2013

Percelen
Gebruik de zoekbalk of klik op een perceel om informatie over het perceel te bekijken.