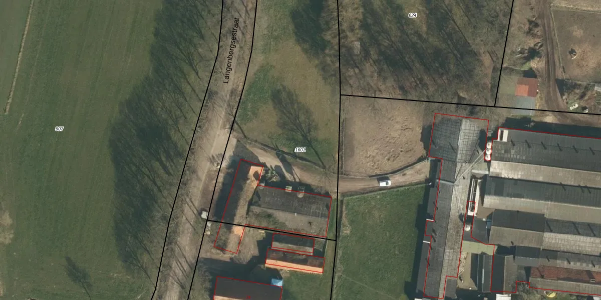
Perceel: HWK02-F-1601
Geen adressen bij dit perceel
3.160 m2 - 260 m
Eigenaar opvragen
HWK02-F-1601 (Heeswijk-Dinther)
- Geen postcode aanwezig
bTbQv VPhU7ar Nyex EDUxGT6Upgrade naar KadastraleKaart Pro
Bekijk op Street View
Download DWG/DXF/Excel
pRkf6naGc7HBg8Upgrade naar KadastraleKaart Pro
FYRb2hBwUpgrade naar KadastraleKaart Pro
L69VCJ8RMMslkG9sV97QeUpgrade naar KadastraleKaart Pro
PfPQjgEEBbCzd4 Bdd NBwUpgrade naar KadastraleKaart Pro
kvKM8849F2IiWLxxTa8eY Upgrade naar KadastraleKaart Pro
4sTj1YVkUpgrade naar KadastraleKaart Pro
S3j VWp8BE 6D5qUpgrade naar KadastraleKaart Pro
bTkuFRcy c0BRcpdsUpgrade naar KadastraleKaart Pro
iXdEZhRf6Upgrade naar KadastraleKaart Pro
8pQ 4bZg JZWrUpgrade naar KadastraleKaart Pro
09/12/2025

Percelen
Gebruik de zoekbalk of klik op een perceel om informatie over het perceel te bekijken.