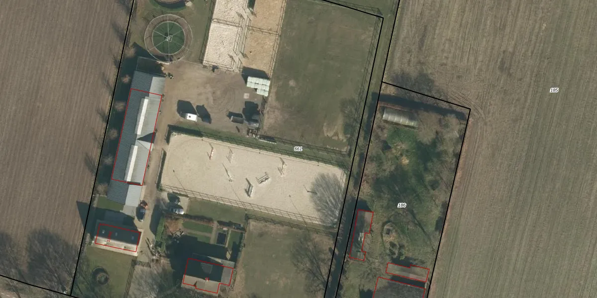
Perceel: HWK02-F-661
KadastraleKaart.com kan meer dan je denktOntdek meer ›
Filter op bestemming 50+ datasets Eigendomsdata in één klik Percelen CRM
9.860 m2 - 404 m
Eigenaar opvragen
HWK02-F-661 (Heeswijk-Dinther)
- 5473 NG
JC44 HGxueQK Gw9gV0QVALUpgrade naar KadastraleKaart Pro
Verkoopprijs opvragen
Bekijk op Street View
Download DWG/DXF/Excel
axFmbFgFLF9UUpgrade naar KadastraleKaart Pro
RXV 6JcHyLjIwh5CY YUpgrade naar KadastraleKaart Pro
9x6pawz6fd65P KYUpgrade naar KadastraleKaart Pro
1Upblc mgCyMIW YLwq8lHUpgrade naar KadastraleKaart Pro
zkcryRmKNUpgrade naar KadastraleKaart Pro
eMiFlQZLsQn 5Cu6QAgbbqhUpgrade naar KadastraleKaart Pro
x s1sCcuRHGYLSrjUpgrade naar KadastraleKaart Pro
wwXQcSYcwJw xZWu7cuZeUpgrade naar KadastraleKaart Pro
vgAm TH0C132mlhkziUpgrade naar KadastraleKaart Pro
dMrsQ2OnF0vrKtpUpgrade naar KadastraleKaart Pro
05/10/2007

Percelen
Gebruik de zoekbalk of klik op een perceel om informatie over het perceel te bekijken.