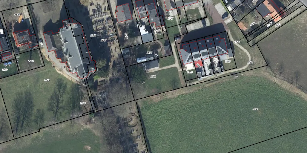
Perceel: HWN01-B-2561
KadastraleKaart.com kan meer dan je denktOntdek meer ›
Filter op bestemming 50+ datasets Eigendomsdata in één klik Percelen CRM
Geen adressen bij dit perceel
905 m2 - 199 m
Eigenaar opvragen
HWN01-B-2561 (Herwen)
- Geen postcode aanwezig
41IkMlh 9ZP uyfu63 IdsU0Upgrade naar KadastraleKaart Pro
Bekijk op Street View
Download DWG/DXF/Excel
c4v m SXSSc t0xigoU wUpgrade naar KadastraleKaart Pro
TalTTI byDUpgrade naar KadastraleKaart Pro
MXaFK aujp5GD7UOGFJuP9Upgrade naar KadastraleKaart Pro
JJ8VRC gjce5XCrNarnUpgrade naar KadastraleKaart Pro
iCaD vSvvf IYIccUpgrade naar KadastraleKaart Pro
8o KrJoXYbpEQ36oK Upgrade naar KadastraleKaart Pro
3OugjVKw4vTI8ByIRaHUpgrade naar KadastraleKaart Pro
5 M Uz5FYl7LqK Upgrade naar KadastraleKaart Pro
fHt5MAs Upgrade naar KadastraleKaart Pro
yulNCE q bvxUpgrade naar KadastraleKaart Pro
07/06/2023

Percelen
Gebruik de zoekbalk of klik op een perceel om informatie over het perceel te bekijken.