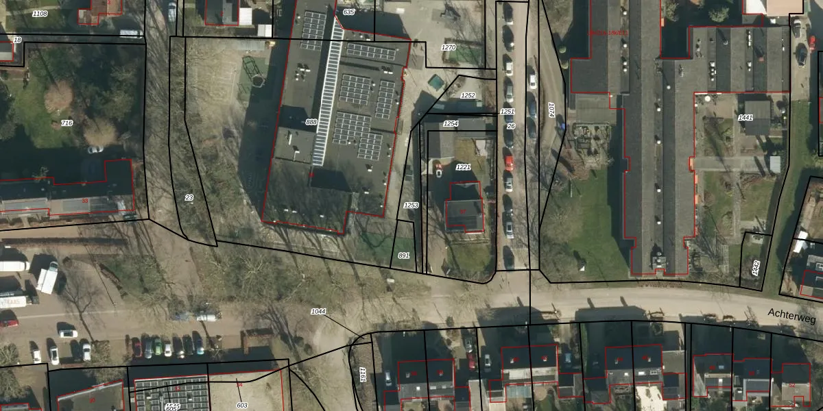
Perceel: HWN02-T-1253
KadastraleKaart.com kan meer dan je denktOntdek meer ›
Filter op bestemming 50+ datasets Eigendomsdata in één klik Percelen CRM
Geen adressen bij dit perceel
114 m2 - 80 m
Eigenaar opvragen
HWN02-T-1253 (Herwijnen)
- Geen postcode aanwezig
EAeCaYLsAM OKkdsHUpgrade naar KadastraleKaart Pro
Bekijk op Street View
Download DWG/DXF/Excel
oguJ8wxZpT1glDAGDnUpgrade naar KadastraleKaart Pro
Y4m69I8o7Do3QQaRHcxfsrwUpgrade naar KadastraleKaart Pro
PTBUAz0f4Upgrade naar KadastraleKaart Pro
JnAFj smcCW61w WKtk 4Upgrade naar KadastraleKaart Pro
BJQpkNkmvJme ltGGFI Upgrade naar KadastraleKaart Pro
ChVDiC7u xp3mHYJdq0Upgrade naar KadastraleKaart Pro
MsKonZvKY m9Upgrade naar KadastraleKaart Pro
XGp3rYHWwFrRVUpgrade naar KadastraleKaart Pro
3t32jOZuFTX2rXj eUpgrade naar KadastraleKaart Pro
Ek vJdrNFvkO 8Pvazwf1 ZUpgrade naar KadastraleKaart Pro
22/06/2020

Percelen
Gebruik de zoekbalk of klik op een perceel om informatie over het perceel te bekijken.