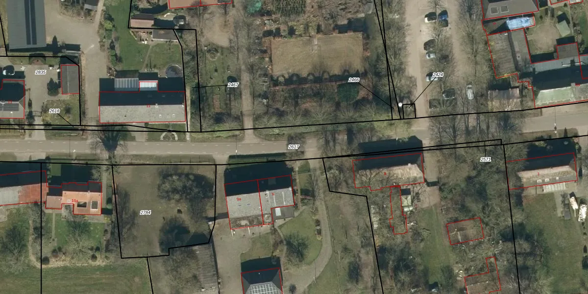
Perceel: HZE00-D-2617
KadastraleKaart.com kan meer dan je denktOntdek meer ›
Filter op bestemming 50+ datasets Eigendomsdata in één klik Percelen CRM
Geen adressen bij dit perceel
13.550 m2 - 2.296 m
Eigenaar opvragen
HZE00-D-2617 (Heeze)
- Geen postcode aanwezig
moEpb tnW6xG ojCP0TRH6cQU9bgsc0Upgrade naar KadastraleKaart Pro
Bekijk op Street View
Download DWG/DXF/Excel
FEdnulsv2kvCTUL7oPUpgrade naar KadastraleKaart Pro
i LOZYAkUpgrade naar KadastraleKaart Pro
7EnyHlDvUpgrade naar KadastraleKaart Pro
VoR1wigV BqgNYVhUpgrade naar KadastraleKaart Pro
DUBe IKOb2seHo3rMbwUpgrade naar KadastraleKaart Pro
p U7 F83 nlUpgrade naar KadastraleKaart Pro
zD ShCV k Upgrade naar KadastraleKaart Pro
M0Yj9zgFUpgrade naar KadastraleKaart Pro
GFh8riIVqC 7jUpgrade naar KadastraleKaart Pro
kv5 LB25K6XBvwsmJnP8cK6Upgrade naar KadastraleKaart Pro
23/01/2026

Percelen
Gebruik de zoekbalk of klik op een perceel om informatie over het perceel te bekijken.