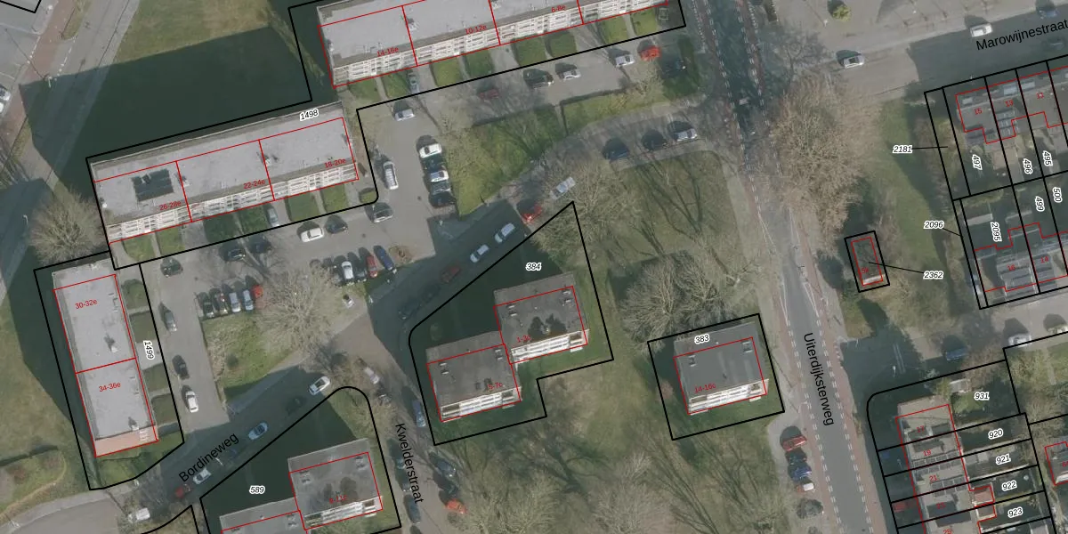
Perceel: HZM00-E-384
KadastraleKaart.com kan meer dan je denktOntdek meer ›
Filter op bestemming 50+ datasets Eigendomsdata in één klik Percelen CRM
967 m2 - 135 m
Eigenaar opvragen
HZM00-E-384 (Huizum)
- 8931 AK
dGQLAfHTdBY8E Ccrk Upgrade naar KadastraleKaart Pro
Verkoopprijs opvragen
Bekijk op Street View
Download DWG/DXF/Excel
nHY1zNsNNFKPuUpgrade naar KadastraleKaart Pro
NibQSEjhyzCVHutUpgrade naar KadastraleKaart Pro
duqKaPejOKUpgrade naar KadastraleKaart Pro
mc8CR7IlUvCgzUpgrade naar KadastraleKaart Pro
eF5x1FcM3lyR obpjUpgrade naar KadastraleKaart Pro
3CWp kqYa UBBFUpgrade naar KadastraleKaart Pro
SoAOgl Vm hUpgrade naar KadastraleKaart Pro
bCeAkPQE UoWJ3 KMUpgrade naar KadastraleKaart Pro
U7XoLP7PVrao4fliUpgrade naar KadastraleKaart Pro
Dd 8 FrJFPbuUpgrade naar KadastraleKaart Pro
30/11/2010

Percelen
Gebruik de zoekbalk of klik op een perceel om informatie over het perceel te bekijken.