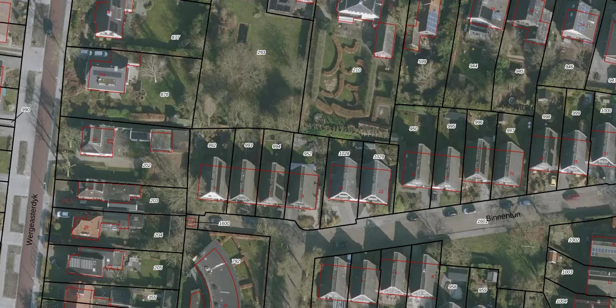
Perceel: HZM00-F-952
KadastraleKaart.com kan meer dan je denktOntdek meer ›
Filter op bestemming 50+ datasets Eigendomsdata in één klik Percelen CRM
339 m2 - 83 m
Eigenaar opvragen
HZM00-F-952 (Huizum)
- 9084 CH
AuCGb4nvKazYsP90LUpgrade naar KadastraleKaart Pro
Verkoopprijs opvragen
Bekijk op Street View
Download DWG/DXF/Excel
KR NTFGBUpgrade naar KadastraleKaart Pro
wDQXn xsQ1a hHUpgrade naar KadastraleKaart Pro
ybH1y 0EVUpgrade naar KadastraleKaart Pro
dJlZUDVaEmDzkU8L3xUpgrade naar KadastraleKaart Pro
rC 6ibBm7 pTUpgrade naar KadastraleKaart Pro
ko rzjyaqn06ay JBGSoeEUpgrade naar KadastraleKaart Pro
dlFM 1N3lufqpTSQ 2mGBUpgrade naar KadastraleKaart Pro
dVzJrGFeJiUpgrade naar KadastraleKaart Pro
rbxa5cp P89Upgrade naar KadastraleKaart Pro
GPHtBxGXkbwAuqIUpgrade naar KadastraleKaart Pro
15/10/2002

Percelen
Gebruik de zoekbalk of klik op een perceel om informatie over het perceel te bekijken.