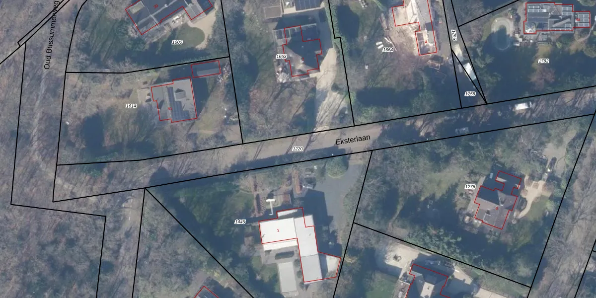
Perceel: HZN00-A-1220
Geen adressen bij dit perceel
1.715 m2 - 393 m
Eigenaar opvragen
HZN00-A-1220 (Huizen)
- Geen postcode aanwezig
yqap0Jo5w509d 7 rbeJd0MTMAzVxAUpgrade naar KadastraleKaart Pro
Bekijk op Street View
Download DWG/DXF/Excel
cLnJMv2BwcUpgrade naar KadastraleKaart Pro
h2GoAG fWvUpgrade naar KadastraleKaart Pro
wq8vp63YR27YdY Upgrade naar KadastraleKaart Pro
p04ICq2s uF WgbNZUpgrade naar KadastraleKaart Pro
NGH3YXrV hQ7mduVUpgrade naar KadastraleKaart Pro
Oo4T4jYJx9SWDSpzsuS jUpgrade naar KadastraleKaart Pro
V9xANq4MIQmzap ZJA6SUpgrade naar KadastraleKaart Pro
MnA x9oz5E voI J TUpgrade naar KadastraleKaart Pro
8SrUX vweq50Yfd qOVUpgrade naar KadastraleKaart Pro
AhFAznOw5xrUpgrade naar KadastraleKaart Pro
14/06/2000

Percelen
Gebruik de zoekbalk of klik op een perceel om informatie over het perceel te bekijken.