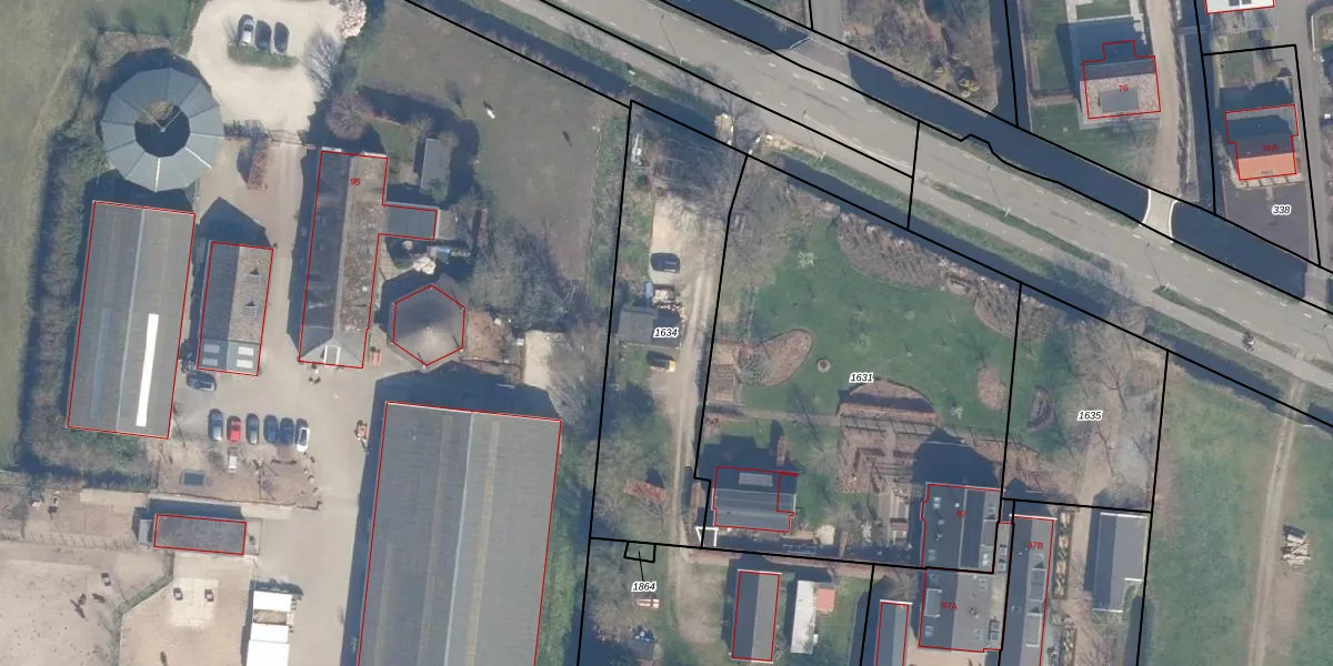
Perceel: HZW00-D-1634
KadastraleKaart.com kan meer dan je denktOntdek meer ›
Filter op bestemming 50+ datasets Eigendomsdata in één klik Percelen CRM
Geen adressen bij dit perceel
1.010 m2 - 164 m
Eigenaar opvragen
HZW00-D-1634 (Hazerswoude)
- Geen postcode aanwezig
cUXpJjOsBTzrQiW8fAUpgrade naar KadastraleKaart Pro
Bekijk op Street View
Download DWG/DXF/Excel
C53zo2D GSa1Upgrade naar KadastraleKaart Pro
2l6TCw9oe2JTUpgrade naar KadastraleKaart Pro
Oml eHH8 RxVjUpgrade naar KadastraleKaart Pro
qi N08LfLT6ZIu1EUpgrade naar KadastraleKaart Pro
EN3TYkeoUpgrade naar KadastraleKaart Pro
pe VH hNp TUpgrade naar KadastraleKaart Pro
q4xlo8 iLCXSFUpgrade naar KadastraleKaart Pro
nSuBFOUFUpgrade naar KadastraleKaart Pro
Cv6cVe4z3Upgrade naar KadastraleKaart Pro
jva8XB14JVOEvd7xXUpgrade naar KadastraleKaart Pro
10/10/2022

Percelen
Gebruik de zoekbalk of klik op een perceel om informatie over het perceel te bekijken.