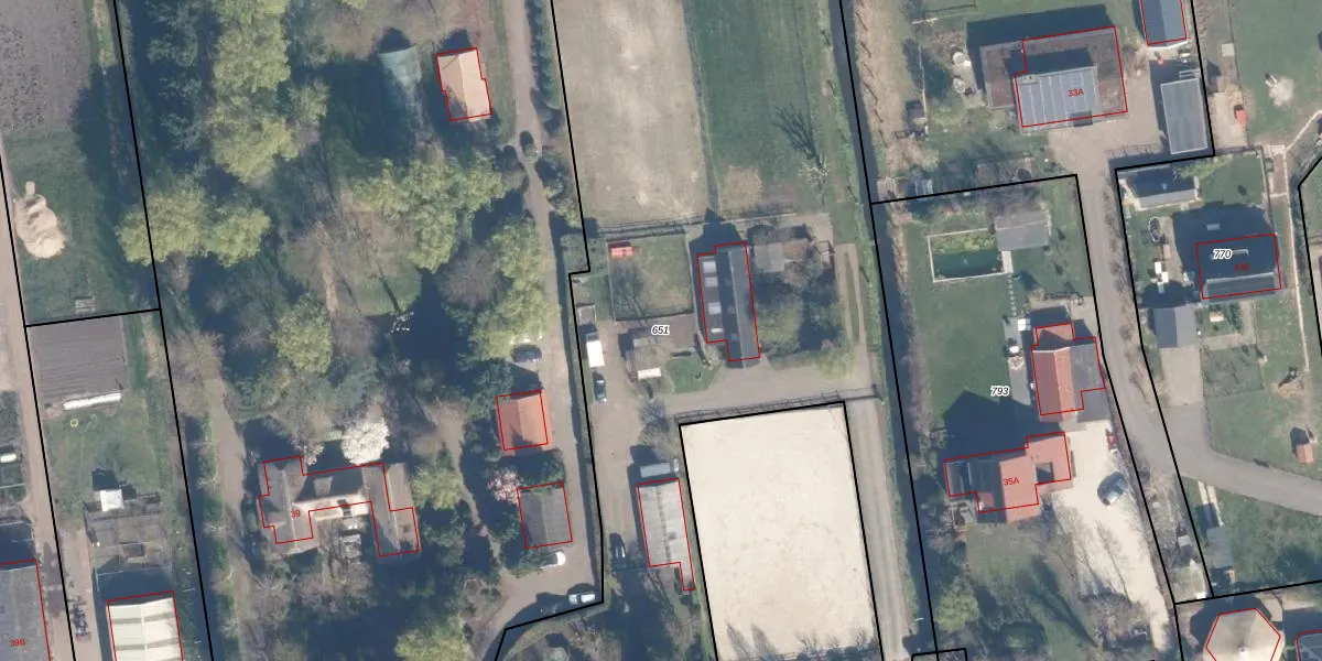
Perceel: HZW00-F-651
KadastraleKaart.com kan meer dan je denktOntdek meer ›
Filter op bestemming 50+ datasets Eigendomsdata in één klik Percelen CRM
7.164 m2 - 713 m
Eigenaar opvragen
HZW00-F-651 (Hazerswoude)
- 2391 JC
XOLe 3Zpu7p9VOc8yXYvUpgrade naar KadastraleKaart Pro
Bekijk op Street View
Download DWG/DXF/Excel
OB YTgHQGKRdaUeIDQCEUpgrade naar KadastraleKaart Pro
zCzLbj Mr8vc7 n1TrUpgrade naar KadastraleKaart Pro
x3V3g7H9bUpgrade naar KadastraleKaart Pro
A7Zza6ZG9sB O5kupJyc0 CUpgrade naar KadastraleKaart Pro
zkAZS D0d8zNdUpgrade naar KadastraleKaart Pro
d2WkjmLmr8Upgrade naar KadastraleKaart Pro
kGOG0wb4dfEmZaf6AUpgrade naar KadastraleKaart Pro
gPqCtaPWRr YMw0YUnaUUpgrade naar KadastraleKaart Pro
TuCNxX7vUpgrade naar KadastraleKaart Pro
N JZYlSMu nUH18kSUpgrade naar KadastraleKaart Pro
05/07/2010

Percelen
Gebruik de zoekbalk of klik op een perceel om informatie over het perceel te bekijken.