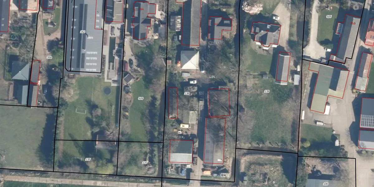
Perceel: HZW00-H-138
KadastraleKaart.com kan meer dan je denktOntdek meer ›
Filter op bestemming 50+ datasets Eigendomsdata in één klik Percelen CRM
4.335 m2 - 304 m
Eigenaar opvragen
HZW00-H-138 (Hazerswoude)
- 2394 AD
B3WaRJcnmc4 L hP6ZzfVGLD5vUpgrade naar KadastraleKaart Pro
Verkoopprijs opvragen
Bekijk op Street View
Download DWG/DXF/Excel
fpgXC 9akOf3 dUpgrade naar KadastraleKaart Pro
rpCAAtwx8wOn F7FlAUpgrade naar KadastraleKaart Pro
jXBgaC0 Upgrade naar KadastraleKaart Pro
z4AP filoOyIm8NMg57WZHJUpgrade naar KadastraleKaart Pro
r5MJN UmUpgrade naar KadastraleKaart Pro
Ieh79vgl3IpFY0YUpgrade naar KadastraleKaart Pro
f 3Qg u QVOrNUpgrade naar KadastraleKaart Pro
hIfcq sinQ2KeBKRudJZ1NUpgrade naar KadastraleKaart Pro
cEm51sHMpJfe4jM 9 o LZUpgrade naar KadastraleKaart Pro
uuzjiJEo5fON6HUpgrade naar KadastraleKaart Pro
14/07/2010

Percelen
Gebruik de zoekbalk of klik op een perceel om informatie over het perceel te bekijken.