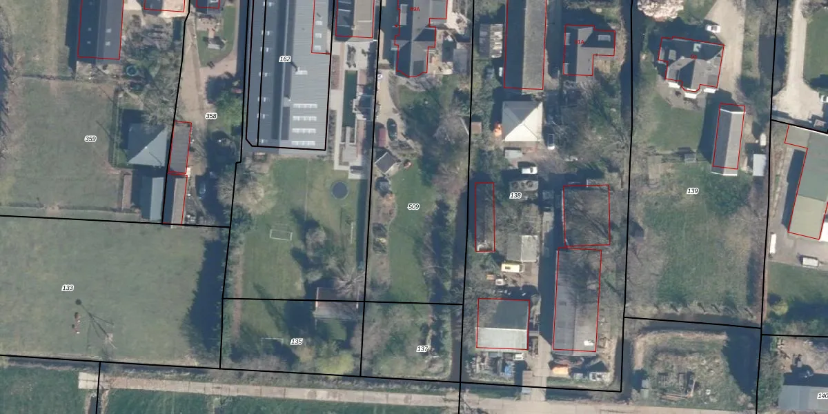
Perceel: HZW00-H-509
KadastraleKaart.com kan meer dan je denktOntdek meer ›
Filter op bestemming 50+ datasets Eigendomsdata in één klik Percelen CRM
1.903 m2 - 251 m
Eigenaar opvragen
HZW00-H-509 (Hazerswoude)
- 2394 AD
aXv0uiCQBSB4Otany5WZX6UNRYw7Upgrade naar KadastraleKaart Pro
Verkoopprijs opvragen
Bekijk op Street View
Download DWG/DXF/Excel
Is6ldZFUeUpgrade naar KadastraleKaart Pro
M7yfT7jxUpgrade naar KadastraleKaart Pro
avTduua7 SSUpgrade naar KadastraleKaart Pro
NsaEufIHgVQzFlaIm 4iVUpgrade naar KadastraleKaart Pro
Whs2FvBM7pDFf 5ioUpgrade naar KadastraleKaart Pro
hYVmfVfKAvKvJPUpgrade naar KadastraleKaart Pro
mV67OtB vtBFIDY5cFhUpgrade naar KadastraleKaart Pro
1L tIHcUN Upgrade naar KadastraleKaart Pro
bvLxywn9oGUpgrade naar KadastraleKaart Pro
IcK s4ZUUpgrade naar KadastraleKaart Pro
14/07/2010

Percelen
Gebruik de zoekbalk of klik op een perceel om informatie over het perceel te bekijken.