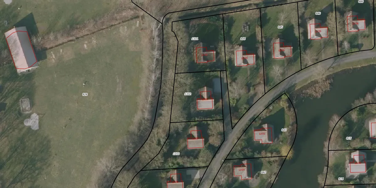
Perceel: ISH00-T-1102
KadastraleKaart.com kan meer dan je denktOntdek meer ›
Filter op bestemming 50+ datasets Eigendomsdata in één klik Percelen CRM
687 m2 - 105 m
Eigenaar opvragen
ISH00-T-1102 (IJsselham)
- 8378 JJ
6SjoJ7zRDEA7wyp8OMUpgrade naar KadastraleKaart Pro
Verkoopprijs opvragen
Bekijk op Street View
Download DWG/DXF/Excel
hAvaPXnez G hj66Upgrade naar KadastraleKaart Pro
Po7fQIs5hUpgrade naar KadastraleKaart Pro
1xs2ByyTzTEb QUpgrade naar KadastraleKaart Pro
yHkhv6zmoqOwUpgrade naar KadastraleKaart Pro
9WgsUEdFBlUpgrade naar KadastraleKaart Pro
d VvQPgnT3fcEXE9Upgrade naar KadastraleKaart Pro
rcXaaitcc msQpY7MUpgrade naar KadastraleKaart Pro
h1m0PYXubOc6Upgrade naar KadastraleKaart Pro
grev91 MYaTkHFVUpgrade naar KadastraleKaart Pro
ujRJg6KyIBkUpgrade naar KadastraleKaart Pro
09/02/2009

Percelen
Gebruik de zoekbalk of klik op een perceel om informatie over het perceel te bekijken.