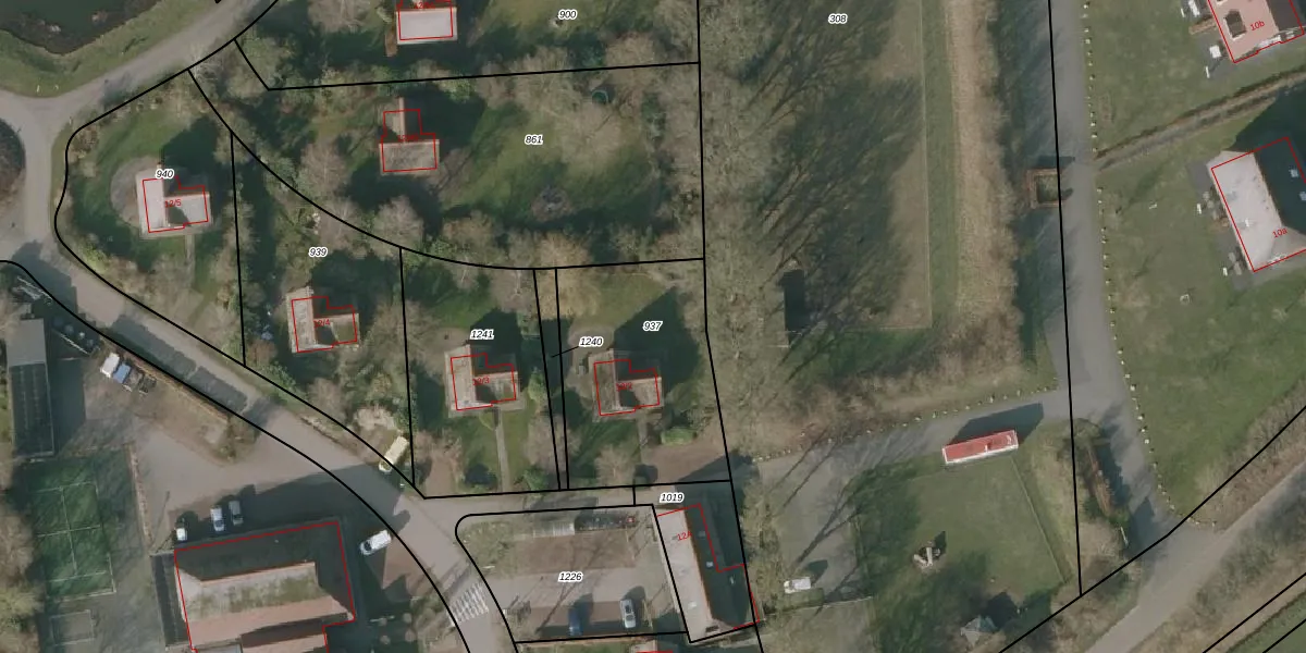
Perceel: ISH00-T-937
KadastraleKaart.com kan meer dan je denktOntdek meer ›
Filter op bestemming 50+ datasets Eigendomsdata in één klik Percelen CRM
802 m2 - 116 m
Eigenaar opvragen
ISH00-T-937 (IJsselham)
- 8378 JJ
Y7si1sfGbSdRChBPpoNAaUMTZ of4 DUpgrade naar KadastraleKaart Pro
Bekijk op Street View
Download DWG/DXF/Excel
SZdokF8yehCMf19YS26 j zUpgrade naar KadastraleKaart Pro
rL2oLhhFQRJUpgrade naar KadastraleKaart Pro
fvY3Xsy NRGUpgrade naar KadastraleKaart Pro
fmGq7H3fJBkAvvUpgrade naar KadastraleKaart Pro
hjW65kgLVb8DKHE Upgrade naar KadastraleKaart Pro
9 j Dv3K 0MZyq pTNYx2Upgrade naar KadastraleKaart Pro
Mb5LP2os9jCaOSOwiMSZUpgrade naar KadastraleKaart Pro
4FTj0GrZpJ Q5rlNSgUpgrade naar KadastraleKaart Pro
8M4UQNlfmUeb JmbcUpgrade naar KadastraleKaart Pro
jpV lak3TcMmzLUpgrade naar KadastraleKaart Pro
12/11/2002

Percelen
Gebruik de zoekbalk of klik op een perceel om informatie over het perceel te bekijken.