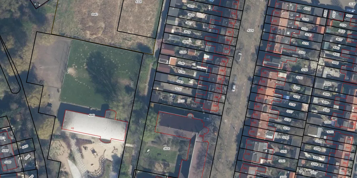
Perceel: ISM01-B-5112
KadastraleKaart.com kan meer dan je denktOntdek meer ›
Filter op bestemming 50+ datasets Eigendomsdata in één klik Percelen CRM
205 m2 - 92 m
Eigenaar opvragen
ISM01-B-5112 (IJsselmonde)
- 3078 GS
GXKbw z3SQP34kFDr9XZ Su mUpgrade naar KadastraleKaart Pro
Verkoopprijs opvragen
Bekijk op Street View
Download DWG/DXF/Excel
KCcmF50u3P hNvHUpgrade naar KadastraleKaart Pro
uj hX9 P79 Upgrade naar KadastraleKaart Pro
k mQBCIk Upgrade naar KadastraleKaart Pro
AP bn5sZMy XrUpgrade naar KadastraleKaart Pro
f0kbKOvBtpiAO79Upgrade naar KadastraleKaart Pro
Jospwhigm5j5cGRtSVgbgUpgrade naar KadastraleKaart Pro
HL7fPrbfwLv00L0BBns73sUpgrade naar KadastraleKaart Pro
gBwKjGN9kl6e GDnJ xCUpgrade naar KadastraleKaart Pro
oiQejGGexuUpgrade naar KadastraleKaart Pro
CUtF5zw 7kwooUpgrade naar KadastraleKaart Pro
04/06/2010

Percelen
Gebruik de zoekbalk of klik op een perceel om informatie over het perceel te bekijken.