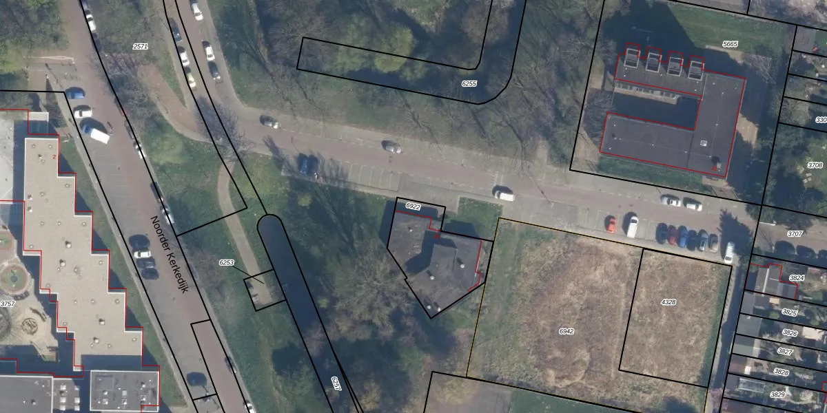
Perceel: ISM01-B-6922
435 m2 - 90 m
Eigenaar opvragen
ISM01-B-6922 (IJsselmonde)
- 3078 GA
deom57RQaz6sTQUtD0McEA7Xz y e8uUpgrade naar KadastraleKaart Pro
Bekijk op Street View
Download DWG/DXF/Excel
pWnl rmuJUpgrade naar KadastraleKaart Pro
zRfeGqsPUpgrade naar KadastraleKaart Pro
bKr jzw TTso7fkj7MhGZUpgrade naar KadastraleKaart Pro
o82LvICY7alpyGAtm4Awm yUpgrade naar KadastraleKaart Pro
FRJWK7REst3L Upgrade naar KadastraleKaart Pro
io4M 72RMUpgrade naar KadastraleKaart Pro
3q O vVbjF7FhK2RiUpgrade naar KadastraleKaart Pro
Vc7 eRfBkxZ4Upgrade naar KadastraleKaart Pro
aOlGeyHXYhWu7Upgrade naar KadastraleKaart Pro
5MQrfLqy szbhxUpgrade naar KadastraleKaart Pro
23/12/2014

Percelen
Gebruik de zoekbalk of klik op een perceel om informatie over het perceel te bekijken.