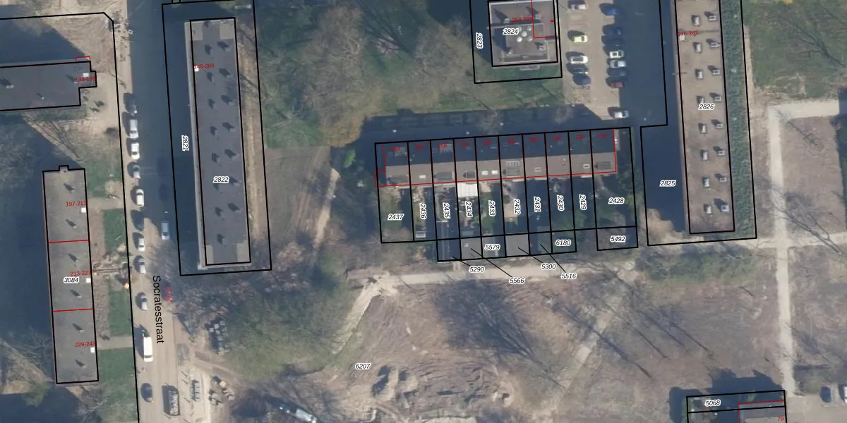
Perceel: ISM01-C-2436
KadastraleKaart.com kan meer dan je denktOntdek meer ›
Filter op bestemming 50+ datasets Eigendomsdata in één klik Percelen CRM
127 m2 - 58 m
Eigenaar opvragen
ISM01-C-2436 (IJsselmonde)
- 3076 BS
n JZ fZDzGfhFljEPOJYuUpgrade naar KadastraleKaart Pro
Verkoopprijs opvragen
Bekijk op Street View
Download DWG/DXF/Excel
sh6xS8yhWcPaEKiWUpgrade naar KadastraleKaart Pro
DURX OJmp5ZIgRirNJzHWUpgrade naar KadastraleKaart Pro
uKCSpH0vI1Upgrade naar KadastraleKaart Pro
AIXzzOb l VAqBNC RlUpgrade naar KadastraleKaart Pro
N AUPqdjwi7qyS4dWUpgrade naar KadastraleKaart Pro
O6L5VZOLSHXrKUpgrade naar KadastraleKaart Pro
neFs6W8u45Upgrade naar KadastraleKaart Pro
U47nMv2snDUpgrade naar KadastraleKaart Pro
jJwVWnYYUpgrade naar KadastraleKaart Pro
MysMV4XDfUg3ho bUpgrade naar KadastraleKaart Pro
23/04/2008

Percelen
Gebruik de zoekbalk of klik op een perceel om informatie over het perceel te bekijken.