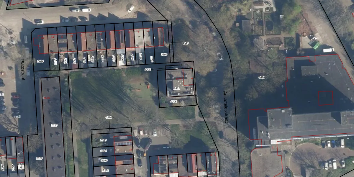
Perceel: ISM01-C-2832
KadastraleKaart.com kan meer dan je denktOntdek meer ›
Filter op bestemming 50+ datasets Eigendomsdata in één klik Percelen CRM
238 m2 - 62 m
Eigenaar opvragen
ISM01-C-2832 (IJsselmonde)
- 3076 BB
mEpHKN5GHq64xXPp FjYx4U Guw9WUpgrade naar KadastraleKaart Pro
Verkoopprijs opvragen
Bekijk op Street View
Download DWG/DXF/Excel
bC F X S0s vUpgrade naar KadastraleKaart Pro
1L BwG9sqkTSu8WoyAUpgrade naar KadastraleKaart Pro
xmxYrPZ8fPGYU1b4a 1Upgrade naar KadastraleKaart Pro
SdSyt dKnrUpgrade naar KadastraleKaart Pro
q9tI 1qNUpgrade naar KadastraleKaart Pro
FHZfnXcrqK6Spb9rG Upgrade naar KadastraleKaart Pro
Ue4kOpG28aUpgrade naar KadastraleKaart Pro
GzLxZW teZp gsdEZLUpgrade naar KadastraleKaart Pro
5fkvvcz gcfAp kX Upgrade naar KadastraleKaart Pro
GLUVpCLUTunoZbPSywUpgrade naar KadastraleKaart Pro
24/10/2023

Percelen
Gebruik de zoekbalk of klik op een perceel om informatie over het perceel te bekijken.