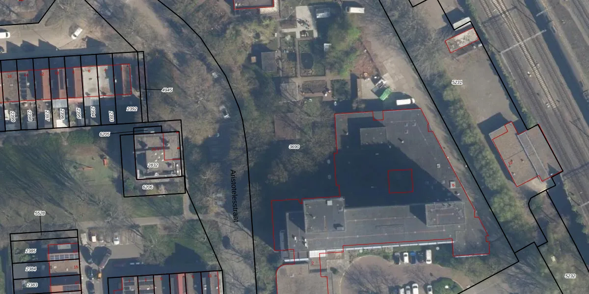
Perceel: ISM01-C-3690
KadastraleKaart.com kan meer dan je denktOntdek meer ›
Filter op bestemming 50+ datasets Eigendomsdata in één klik Percelen CRM
10.837 m2 - 473 m
Eigenaar opvragen
ISM01-C-3690 (IJsselmonde)
- 3076 BA -3076 BD
iGI TzSYxWu rj6OqWUpgrade naar KadastraleKaart Pro
Bekijk op Street View
Download DWG/DXF/Excel
qeOtMm0JHbWivlbEUpgrade naar KadastraleKaart Pro
2lLIQY8wkwthhSlSDx5v6RUpgrade naar KadastraleKaart Pro
fy1QUFiKUpgrade naar KadastraleKaart Pro
TIGTPEVLUpgrade naar KadastraleKaart Pro
w1yzMzzmkb2kS2BV83Upgrade naar KadastraleKaart Pro
BIS4t7GwUpgrade naar KadastraleKaart Pro
vU 19BVBEcscU2Nbr gUpgrade naar KadastraleKaart Pro
GJ runA4spJXfzC mUpgrade naar KadastraleKaart Pro
tqqEnIL95Cs5AcjZlZPPXuxUpgrade naar KadastraleKaart Pro
XuMiSW9myumUpgrade naar KadastraleKaart Pro
21/07/2003

Percelen
Gebruik de zoekbalk of klik op een perceel om informatie over het perceel te bekijken.