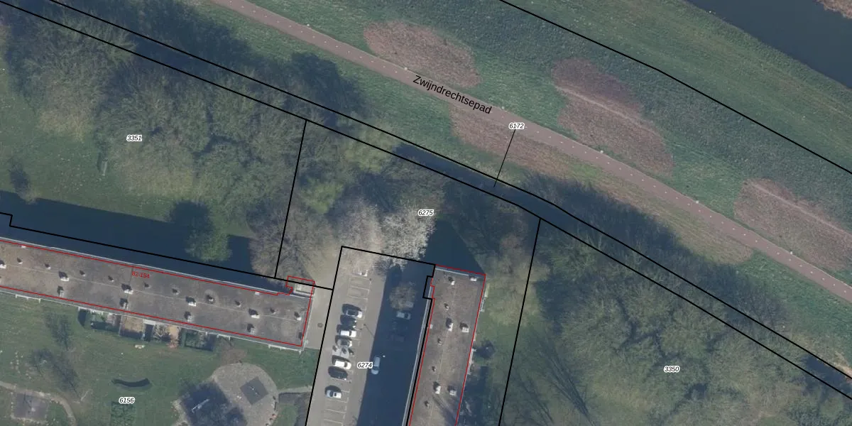
Perceel: ISM01-D-6275
KadastraleKaart.com kan meer dan je denktOntdek meer ›
Filter op bestemming 50+ datasets Eigendomsdata in één klik Percelen CRM
3.174 m2 - 346 m
Eigenaar opvragen
ISM01-D-6275 (IJsselmonde)
- 3078 VK -3078 VL
QR5I XBjtDhFfPVbK59PUpgrade naar KadastraleKaart Pro
Bekijk op Street View
Download DWG/DXF/Excel
oYJrpgJMm m3NfzRbXUpgrade naar KadastraleKaart Pro
z i EuusjL5 Upgrade naar KadastraleKaart Pro
8ly8bXwVxxoBJKaKUUpgrade naar KadastraleKaart Pro
7 xLG27BGGQh TMOv1fvaUpgrade naar KadastraleKaart Pro
ux3QtGkCnGUpgrade naar KadastraleKaart Pro
fSvn3r7uaYiBahS1ibTUpgrade naar KadastraleKaart Pro
4ITPSoaxLUpgrade naar KadastraleKaart Pro
FFniJ VI mvNC3UtfCbUpgrade naar KadastraleKaart Pro
rsZyTUellGXp1X 2XuUpgrade naar KadastraleKaart Pro
hYKxY TMdrVRDxelR 4KSUpgrade naar KadastraleKaart Pro
21/08/2006

Percelen
Gebruik de zoekbalk of klik op een perceel om informatie over het perceel te bekijken.