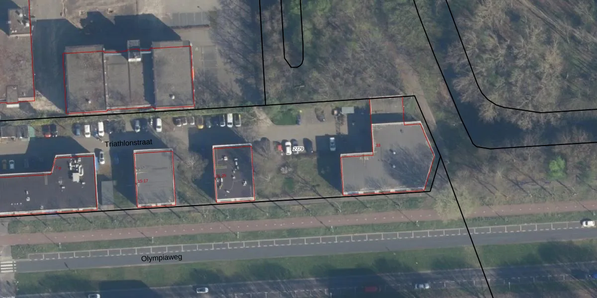
Perceel: ISM01-E-2779
KadastraleKaart.com kan meer dan je denktOntdek meer ›
Filter op bestemming 50+ datasets Eigendomsdata in één klik Percelen CRM
4.840 m2 - 361 m
Eigenaar opvragen
ISM01-E-2779 (IJsselmonde)
- 3078 HX
Bcm3Dz vduNNT922MNx8clhW4CUpgrade naar KadastraleKaart Pro
Bekijk op Street View
Download DWG/DXF/Excel
Ll t7Dqe22aTPpDkLsKSGUpgrade naar KadastraleKaart Pro
4FlT 5PcUpgrade naar KadastraleKaart Pro
qBDod8e pwApLUpgrade naar KadastraleKaart Pro
ZtPnIU8RMZ5 7Upgrade naar KadastraleKaart Pro
6gy pRpAiUpgrade naar KadastraleKaart Pro
bCn dUaB0BygxnRJZaJ2Upgrade naar KadastraleKaart Pro
fphiHDSj4KbaALnHyyAyS9tUpgrade naar KadastraleKaart Pro
h I Rc21cDvPUpgrade naar KadastraleKaart Pro
hIvpw4YXJHwqY26 Upgrade naar KadastraleKaart Pro
p6U4kfKGKlnB3L2BVcuqUpgrade naar KadastraleKaart Pro
05/09/2008

Percelen
Gebruik de zoekbalk of klik op een perceel om informatie over het perceel te bekijken.