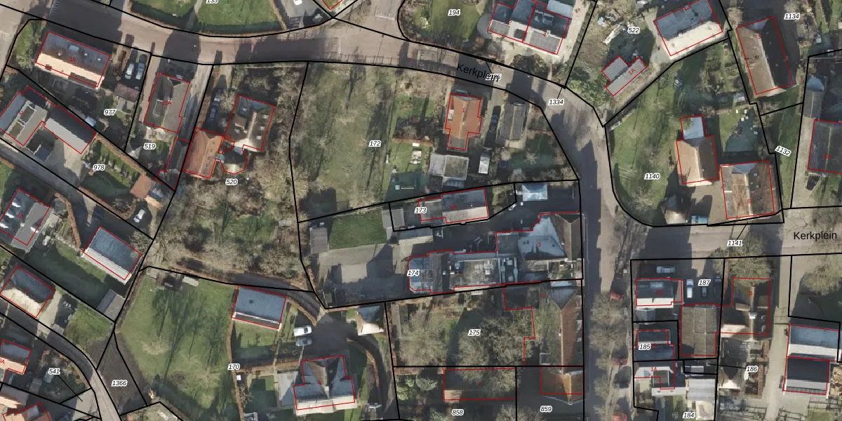
Perceel: ISM02-H-173
KadastraleKaart.com kan meer dan je denktOntdek meer ›
Filter op bestemming 50+ datasets Eigendomsdata in één klik Percelen CRM
217 m2 - 73 m
Eigenaar opvragen
ISM02-H-173 (IJsselmuiden)
- 8276 AM
fzXSBbNgKbkvvr 2w3QPJ Upgrade naar KadastraleKaart Pro
Bekijk op Street View
Download DWG/DXF/Excel
9j115HqEul5Upgrade naar KadastraleKaart Pro
Mo qk6qxUpgrade naar KadastraleKaart Pro
Nqh KmeA Upgrade naar KadastraleKaart Pro
h8Eei7WDaUpgrade naar KadastraleKaart Pro
YQ3eUGJo5vk Mv1ULSrhNTUpgrade naar KadastraleKaart Pro
LZ3y4c G1 t5w1465 Upgrade naar KadastraleKaart Pro
Ea2hYO2MTXSSMNjUpgrade naar KadastraleKaart Pro
n57wUeXNYRe7iGAgbXUpgrade naar KadastraleKaart Pro
YIrqXCQpyRmv891S1PlUpgrade naar KadastraleKaart Pro
gbs8hthq65sggUpgrade naar KadastraleKaart Pro
25/07/2002

Percelen
Gebruik de zoekbalk of klik op een perceel om informatie over het perceel te bekijken.