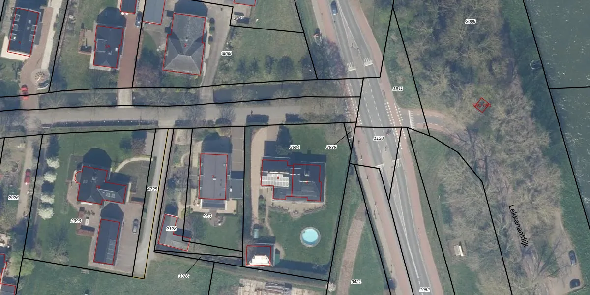
Perceel: JPS00-D-2534
KadastraleKaart.com kan meer dan je denktOntdek meer ›
Filter op bestemming 50+ datasets Eigendomsdata in één klik Percelen CRM
1.688 m2 - 165 m
Eigenaar opvragen
JPS00-D-2534 (Jutphaas)
- 3439 MJ
fzM09oS7H000I M sVl rl yUpgrade naar KadastraleKaart Pro
Bekijk op Street View
Download DWG/DXF/Excel
bs3zau PwbrL9DODKV PAjUpgrade naar KadastraleKaart Pro
68g6olM02K3 VLiyqUpgrade naar KadastraleKaart Pro
h40k MrxRYIyvolUpgrade naar KadastraleKaart Pro
MvRBh c0W1g M5 mq7RDsJzUpgrade naar KadastraleKaart Pro
4GoVrZWsQrbLbULTiO b2Upgrade naar KadastraleKaart Pro
KxgZyqm9hUu QKUpgrade naar KadastraleKaart Pro
DutR XnWhz5mS5 D1IUpgrade naar KadastraleKaart Pro
J2A 79BzUpgrade naar KadastraleKaart Pro
eY0bWmWuM7QbxHcd11Upgrade naar KadastraleKaart Pro
qDRrAfrLnM7Upgrade naar KadastraleKaart Pro
19/09/1997

Percelen
Gebruik de zoekbalk of klik op een perceel om informatie over het perceel te bekijken.