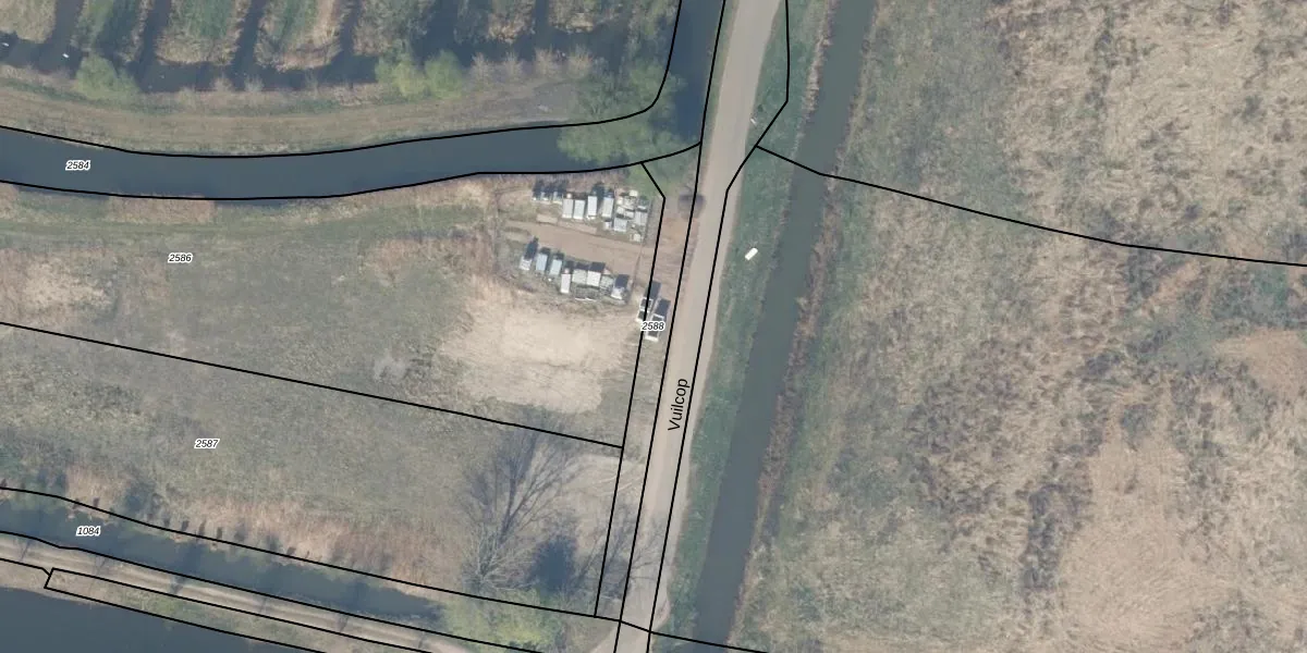
Perceel: JPS00-D-2588
KadastraleKaart.com kan meer dan je denktOntdek meer ›
Filter op bestemming 50+ datasets Eigendomsdata in één klik Percelen CRM
Geen adressen bij dit perceel
325 m2 - 160 m
Eigenaar opvragen
JPS00-D-2588 (Jutphaas)
- Geen postcode aanwezig
df utagIvuYdQYx6rUpgrade naar KadastraleKaart Pro
Bekijk op Street View
Download DWG/DXF/Excel
o q13 nEH0Q6FEvYtdedoUpgrade naar KadastraleKaart Pro
7QwyjF YUpgrade naar KadastraleKaart Pro
MZx0aUVBsKqVTy POUFnUpgrade naar KadastraleKaart Pro
RzVzTPh8X lJJyCzdcGkKUpgrade naar KadastraleKaart Pro
6UTewzpGDzAEUpgrade naar KadastraleKaart Pro
KMiydaXUpgrade naar KadastraleKaart Pro
9VQebITaysUpgrade naar KadastraleKaart Pro
H6gGtpGSKJWjq o Xm0hxUpgrade naar KadastraleKaart Pro
5QO69MZqrGtoNSaywl4 Upgrade naar KadastraleKaart Pro
PH1DLjTyVUpgrade naar KadastraleKaart Pro
05/01/1998

Percelen
Gebruik de zoekbalk of klik op een perceel om informatie over het perceel te bekijken.