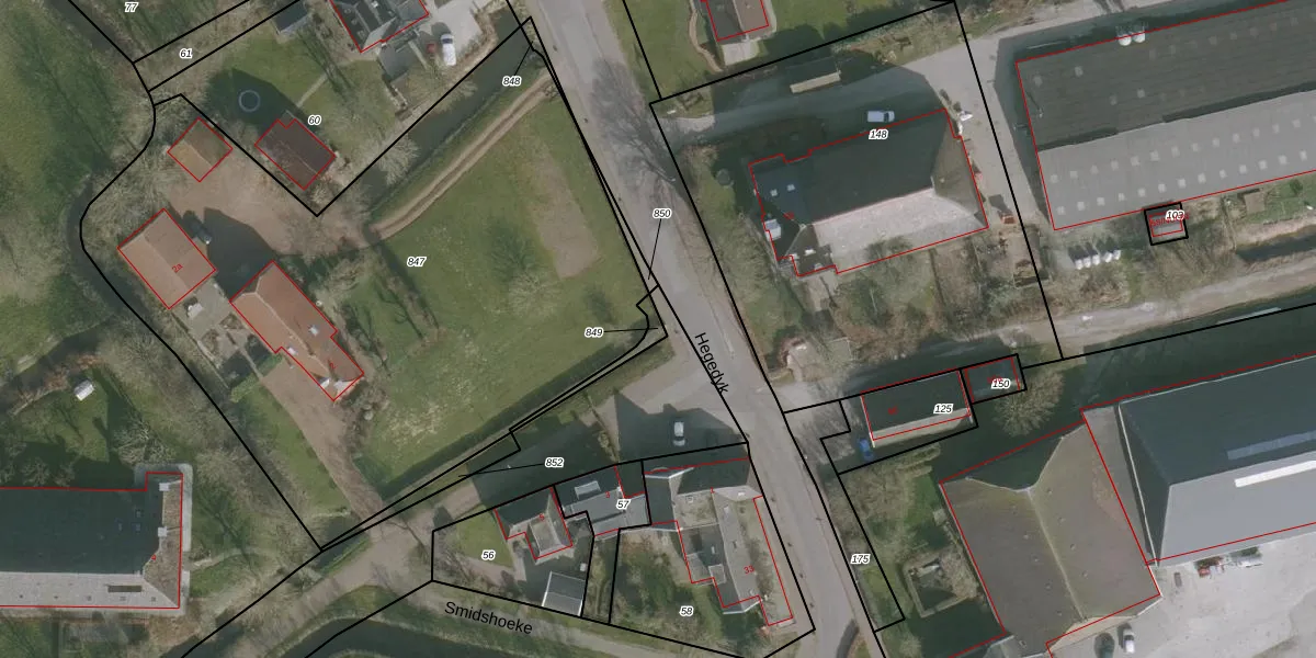
Perceel: JWD00-G-849
KadastraleKaart.com kan meer dan je denktOntdek meer ›
Filter op bestemming 50+ datasets Eigendomsdata in één klik Percelen CRM
Geen adressen bij dit perceel
35 m2 - 69 m
Eigenaar opvragen
JWD00-G-849 (Jorwerd)
- Geen postcode aanwezig
G0DN ZhWT2WG A7 Jp9IMLvW75Upgrade naar KadastraleKaart Pro
Bekijk op Street View
Download DWG/DXF/Excel
CzzyRP NyJUaay HUpgrade naar KadastraleKaart Pro
zQmgevnrOpNUpgrade naar KadastraleKaart Pro
6pyp pu3vzUpgrade naar KadastraleKaart Pro
dI OABB7u18YDTXf81A UgUpgrade naar KadastraleKaart Pro
wuHhkJuca6jWHTL3rSq v Upgrade naar KadastraleKaart Pro
R9MdWIv29H i7Zj2xgder Upgrade naar KadastraleKaart Pro
a eagIvQyoHEiKUpgrade naar KadastraleKaart Pro
V FsLXUfCJjKUpgrade naar KadastraleKaart Pro
CmFtSU9TDC3s98KI2 s p ZUpgrade naar KadastraleKaart Pro
Hs1PAgONaNEr P6ezkSSyBUpgrade naar KadastraleKaart Pro
22/01/2014

Percelen
Gebruik de zoekbalk of klik op een perceel om informatie over het perceel te bekijken.