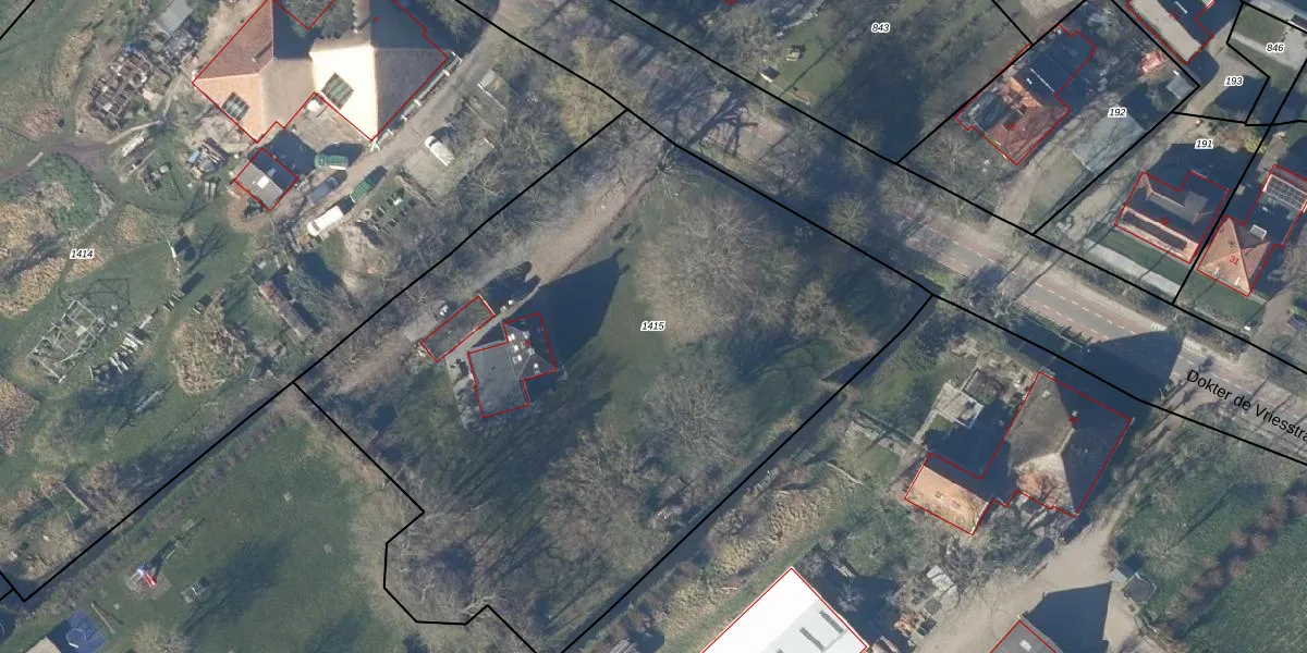
Perceel: KGL01-A-1415
4.170 m2 - 277 m
Eigenaar opvragen
KGL01-A-1415 (Noorder-Koggenland)
- 1654 JS
GaAvVmnyAAze 59F8qn 1RPaK HqUpgrade naar KadastraleKaart Pro
Verkoopprijs opvragen
Bekijk op Street View
Download DWG/DXF/Excel
3qb a52 40Aqe4cq AJLSH Upgrade naar KadastraleKaart Pro
j19meg8UDhbc1YsUpgrade naar KadastraleKaart Pro
79PI7JrkwjZ Qog Pf9V x Upgrade naar KadastraleKaart Pro
Y6txkFDtUZg Upgrade naar KadastraleKaart Pro
Y2YChj fjBYVhFRACInUpgrade naar KadastraleKaart Pro
z Il5L862IBXGxp2o8oucLYUpgrade naar KadastraleKaart Pro
i6Payy ifUpgrade naar KadastraleKaart Pro
T5 Zfoz5qPQ enA7iwkjUKUpgrade naar KadastraleKaart Pro
J m 7Ipd6QPzgrsveUpgrade naar KadastraleKaart Pro
6Kd 6ZzddvnOXaF df5CUpgrade naar KadastraleKaart Pro
14/06/2011

Percelen
Gebruik de zoekbalk of klik op een perceel om informatie over het perceel te bekijken.