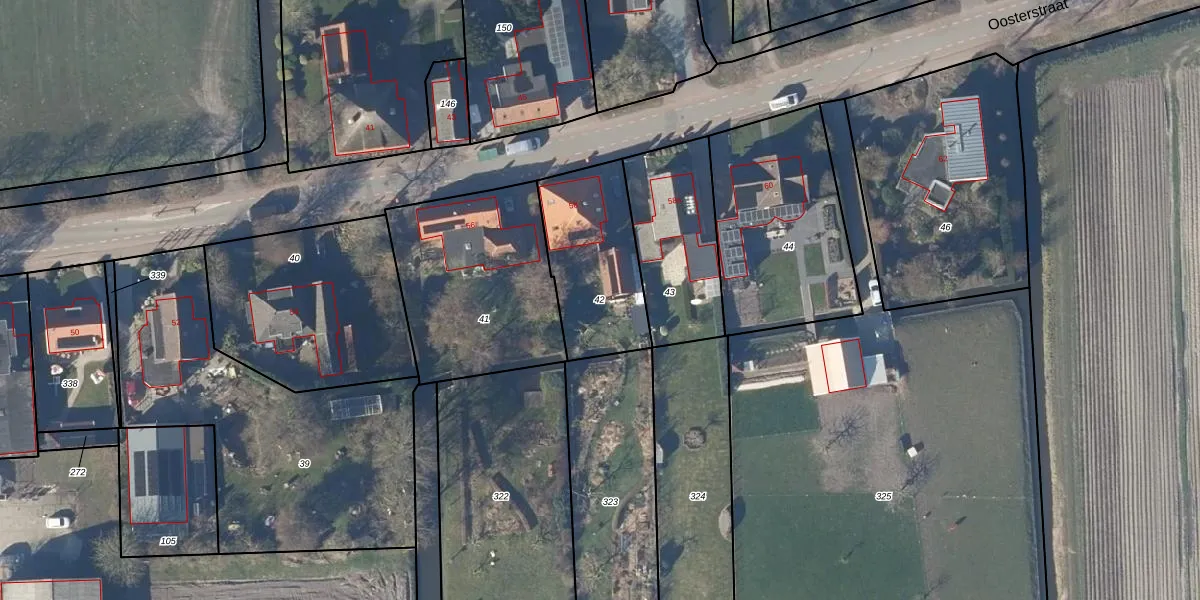
Perceel: KGL01-S-42
454 m2 - 92 m
Eigenaar opvragen
KGL01-S-42 (Noorder-Koggenland)
- 1654 JM
xqomA62dSIOzHhrXY2fqPt L7EpZiZUpgrade naar KadastraleKaart Pro
Verkoopprijs opvragen
Bekijk op Street View
Download DWG/DXF/Excel
H6Sp7rvL z FBgixVJL5Upgrade naar KadastraleKaart Pro
ePSh aZo0Opw YUpgrade naar KadastraleKaart Pro
s1T5H 8 jm0LnWBrV4jUpgrade naar KadastraleKaart Pro
jJ H6h0rd0E46ckUpgrade naar KadastraleKaart Pro
Ox5mkXehWf7AUpgrade naar KadastraleKaart Pro
K1i8GL6kxBd15T SUpgrade naar KadastraleKaart Pro
2l kOqSfA3Upgrade naar KadastraleKaart Pro
Jx3i C UCFUpgrade naar KadastraleKaart Pro
ObZa3HrWsUpgrade naar KadastraleKaart Pro
3EVz spQBQYgfAF2 MyUpgrade naar KadastraleKaart Pro
05/08/2005

Percelen
Gebruik de zoekbalk of klik op een perceel om informatie over het perceel te bekijken.