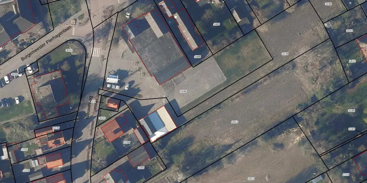
Perceel: KGL01-T-2596
2.935 m2 - 278 m
Eigenaar opvragen
KGL01-T-2596 (Noorder-Koggenland)
- 1674 NT
A9byb2gRbdkr6 vUMiZRffQ Upgrade naar KadastraleKaart Pro
Bekijk op Street View
Download DWG/DXF/Excel
mAqNOz qS 4I ibjujUpgrade naar KadastraleKaart Pro
Jq BQ8x3LWaln URIUpgrade naar KadastraleKaart Pro
Zk wssahyHz xFgnu7Upgrade naar KadastraleKaart Pro
yErXXpg5dAYCFRNUpgrade naar KadastraleKaart Pro
J ZzacreGjbnm8xa4C4kUpgrade naar KadastraleKaart Pro
LLZCI 5Xl2oLUpgrade naar KadastraleKaart Pro
eGJjlkGGHOIb Upgrade naar KadastraleKaart Pro
gT VH GpUpgrade naar KadastraleKaart Pro
cQ 5HctfUpgrade naar KadastraleKaart Pro
dnoX2aaWXfGcoEUpgrade naar KadastraleKaart Pro
18/01/2001

Percelen
Gebruik de zoekbalk of klik op een perceel om informatie over het perceel te bekijken.