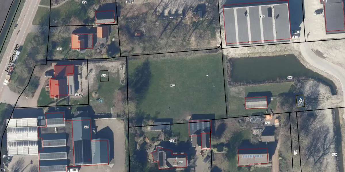
Perceel: KGL02-R-857
Geen adressen bij dit perceel
2.348 m2 - 201 m
Eigenaar opvragen
KGL02-R-857 (Wester-Koggenland)
- Geen postcode aanwezig
qU Pg A 3m5 WCBe8Upgrade naar KadastraleKaart Pro
Bekijk op Street View
Download DWG/DXF/Excel
JDZ9h TdZHOzaC pUpgrade naar KadastraleKaart Pro
bp fP7eo97i7Upgrade naar KadastraleKaart Pro
txFd5qVKBqXWy3Upgrade naar KadastraleKaart Pro
divDcEsiITd7UZn5c7Upgrade naar KadastraleKaart Pro
BMeZg9crxUpgrade naar KadastraleKaart Pro
6fcNtJFIsymmeUpgrade naar KadastraleKaart Pro
tAkwas mUpgrade naar KadastraleKaart Pro
Wh2O6J7fZ Upgrade naar KadastraleKaart Pro
dH4eEQbXEp5V8oudxUpgrade naar KadastraleKaart Pro
xgV5 zUIfUDQqtB1Upgrade naar KadastraleKaart Pro
15/12/2020

Percelen
Gebruik de zoekbalk of klik op een perceel om informatie over het perceel te bekijken.