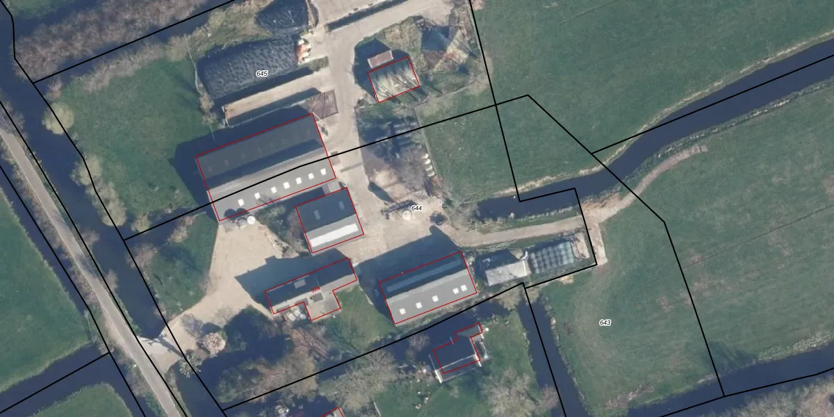
Perceel: KKG00-D-644
KadastraleKaart.com kan meer dan je denktOntdek meer ›
Filter op bestemming 50+ datasets Eigendomsdata in één klik Percelen CRM
4.530 m2 - 297 m
Eigenaar opvragen
KKG00-D-644 (Kockengen)
- 3628 EX
A lF5fr Xdc90w4aeDeCUpgrade naar KadastraleKaart Pro
Bekijk op Street View
Download DWG/DXF/Excel
PkKsy 0Ikb0NJJFETph 2Upgrade naar KadastraleKaart Pro
L3BjCR7tHiOCf6BRAUpgrade naar KadastraleKaart Pro
O4 oPQVSUpgrade naar KadastraleKaart Pro
e9PQ 13WFoUpgrade naar KadastraleKaart Pro
Ms9tUv4VF LOYUpgrade naar KadastraleKaart Pro
U h3iTf cQCgfjrUpgrade naar KadastraleKaart Pro
ZAli6K609mIKgmUpgrade naar KadastraleKaart Pro
f8a8MtsEHlwW5aL Y7HG9kUpgrade naar KadastraleKaart Pro
FwybVmvHi79s7 VUpgrade naar KadastraleKaart Pro
YfO6UwoPtKjIp N yCAtUpgrade naar KadastraleKaart Pro
09/09/2025

Percelen
Gebruik de zoekbalk of klik op een perceel om informatie over het perceel te bekijken.