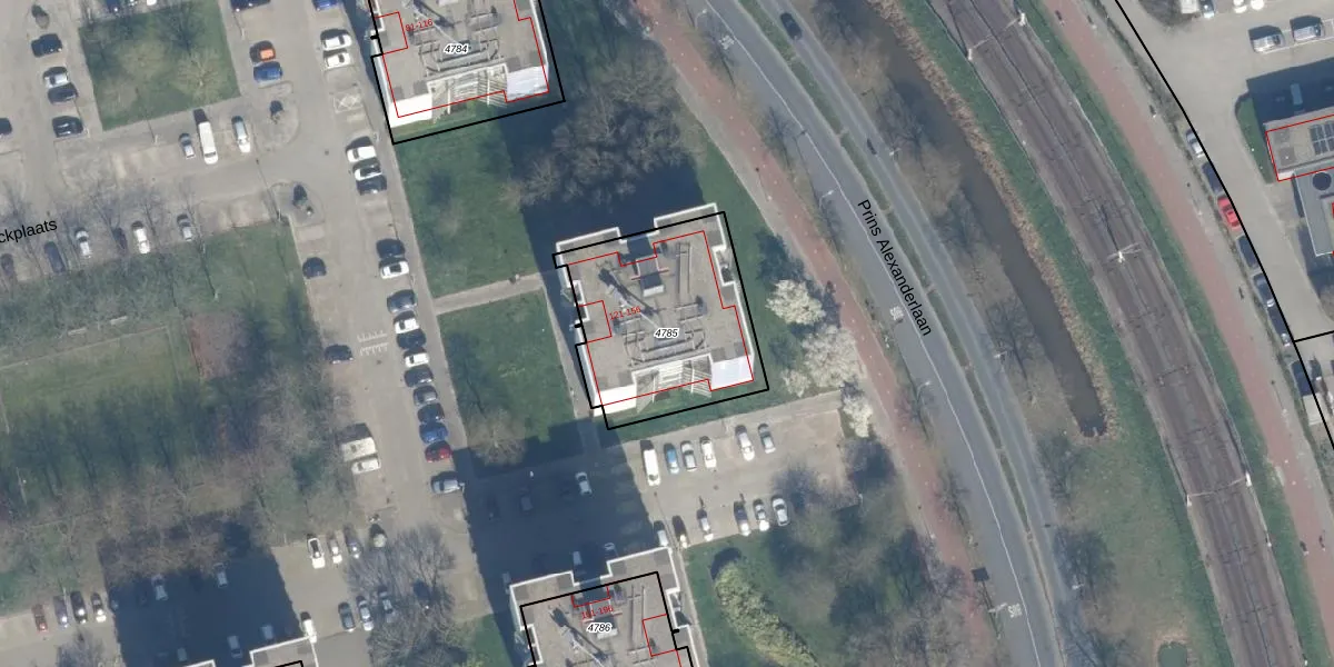
Perceel: KLG00-C-4785
KadastraleKaart.com kan meer dan je denktOntdek meer ›
Filter op bestemming 50+ datasets Eigendomsdata in één klik Percelen CRM
698 m2 - 113 m
Eigenaar opvragen
KLG00-C-4785 (Kralingen)
- 3066 XA
WgOWvZXWC0MSnhQubu0dgCEbz2 Upgrade naar KadastraleKaart Pro
Bekijk op Street View
Download DWG/DXF/Excel
OT h i8i7Og2 zZBUpgrade naar KadastraleKaart Pro
KgKcc7vgWVaE5agO2E L7V2Upgrade naar KadastraleKaart Pro
Juu w1aZyDX3 S gHKyNf SUpgrade naar KadastraleKaart Pro
bjxw qzn gbUpgrade naar KadastraleKaart Pro
poKAWMOrnBq Upgrade naar KadastraleKaart Pro
oc CYrvflkYpkiKWnGqUpgrade naar KadastraleKaart Pro
7Ft864Be2iwezaoRYUpgrade naar KadastraleKaart Pro
CyInvdTE9fIUpgrade naar KadastraleKaart Pro
P8YH1 tUBF2N9ZMkUpgrade naar KadastraleKaart Pro
tDLjyPuBhPMjv3GVc n BUpgrade naar KadastraleKaart Pro
21/12/2009

Percelen
Gebruik de zoekbalk of klik op een perceel om informatie over het perceel te bekijken.