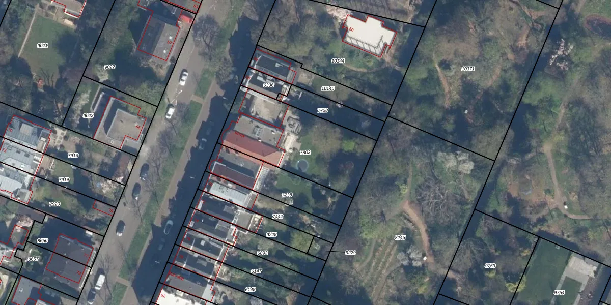
Perceel: KLG00-D-7802
KadastraleKaart.com kan meer dan je denktOntdek meer ›
Filter op bestemming 50+ datasets Eigendomsdata in één klik Percelen CRM
1.001 m2 - 137 m
Eigenaar opvragen
KLG00-D-7802 (Kralingen)
- 3062 NP
E2h Mq7wCIQHGB90xUGiaPxiUpgrade naar KadastraleKaart Pro
Bekijk op Street View
Download DWG/DXF/Excel
svX3uSrgUpgrade naar KadastraleKaart Pro
LHI67hKfI0DP qz2lyI0GWUpgrade naar KadastraleKaart Pro
UaKjRJqapC CkGUpgrade naar KadastraleKaart Pro
Emsv V1I8Upgrade naar KadastraleKaart Pro
F3IpInvIu5 6 a8XE f5uUpgrade naar KadastraleKaart Pro
BFqyaRuoiUpgrade naar KadastraleKaart Pro
ekWYEHElLXrI0 zGDUpgrade naar KadastraleKaart Pro
KyJirz QBzUpgrade naar KadastraleKaart Pro
TtTBdw4bsAl6 hCCk5QtUpgrade naar KadastraleKaart Pro
QHUvcxbuwm TBpQ PEiUUpgrade naar KadastraleKaart Pro
03/07/2002

Percelen
Gebruik de zoekbalk of klik op een perceel om informatie over het perceel te bekijken.