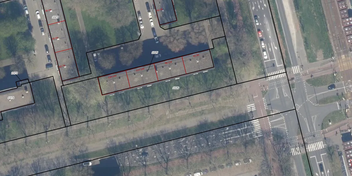
Perceel: KLG00-K-1026
KadastraleKaart.com kan meer dan je denktOntdek meer ›
Filter op bestemming 50+ datasets Eigendomsdata in één klik Percelen CRM
Geen adressen bij dit perceel
1.601 m2 - 271 m
Eigenaar opvragen
KLG00-K-1026 (Kralingen)
- Geen postcode aanwezig
G z6w hpXjDM5 v1basAM4CZ Upgrade naar KadastraleKaart Pro
Bekijk op Street View
Download DWG/DXF/Excel
h LZS GENA sjUpgrade naar KadastraleKaart Pro
x7U u brQuUpgrade naar KadastraleKaart Pro
0gHmSb0uP Rmxo1JcUpgrade naar KadastraleKaart Pro
j F7AMipy0Upgrade naar KadastraleKaart Pro
Cwxz1pN0 N6ZjUpgrade naar KadastraleKaart Pro
cJ71Ocgo0y14wvmUpgrade naar KadastraleKaart Pro
brdyRG27mVAZfR35Upgrade naar KadastraleKaart Pro
WEfC MCV I uzI30wNtn bUpgrade naar KadastraleKaart Pro
dWIyBTCTrF4koUpgrade naar KadastraleKaart Pro
F65qxxZ PorCnW5p OUpgrade naar KadastraleKaart Pro
12/07/2005

Percelen
Gebruik de zoekbalk of klik op een perceel om informatie over het perceel te bekijken.