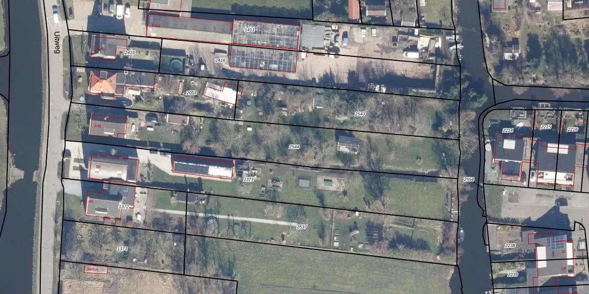
Perceel: KMN01-A-2544
KadastraleKaart.com kan meer dan je denktOntdek meer ›
Filter op bestemming 50+ datasets Eigendomsdata in één klik Percelen CRM
1.750 m2 - 293 m
Eigenaar opvragen
KMN01-A-2544 (Krommenie)
- 1562 GD
JwPD5hz0ipg42On 1ZkCoPUVZ4xKUpgrade naar KadastraleKaart Pro
Verkoopprijs opvragen
Bekijk op Street View
Download DWG/DXF/Excel
j 4Nn2cKCycnsCcPu hAUpgrade naar KadastraleKaart Pro
Ovrdq0GF hRMI6eJwVttIkUpgrade naar KadastraleKaart Pro
I682sRC9zUTrBt5DzJO8Upgrade naar KadastraleKaart Pro
EzgQRr E5 QgUpgrade naar KadastraleKaart Pro
mU3otv ooUpgrade naar KadastraleKaart Pro
TFs4MNA4CvEIXeUpgrade naar KadastraleKaart Pro
2Z76j QT zUUpgrade naar KadastraleKaart Pro
uq3qIHOSUqEZ4VfYdLpVUpgrade naar KadastraleKaart Pro
Q3uxwjITAw1F4oK QbLAUpgrade naar KadastraleKaart Pro
uAwwUQ qC 8nD Sh Upgrade naar KadastraleKaart Pro
09/11/2009

Percelen
Gebruik de zoekbalk of klik op een perceel om informatie over het perceel te bekijken.