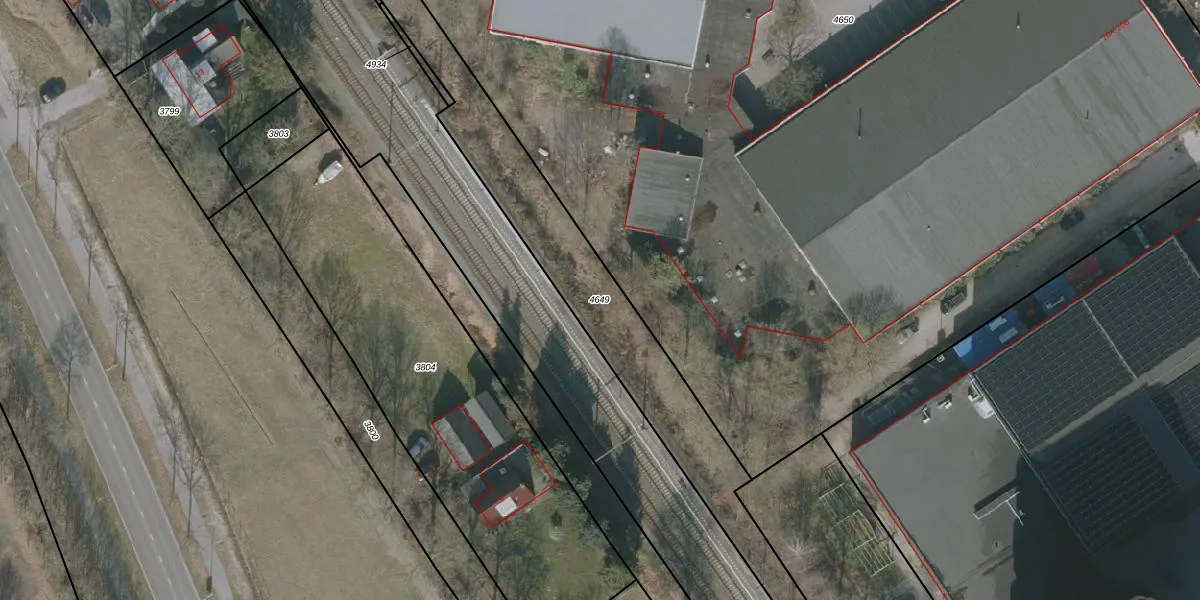
Perceel: KPE00-C-4649
KadastraleKaart.com kan meer dan je denktOntdek meer ›
Filter op bestemming 50+ datasets Eigendomsdata in één klik Percelen CRM
Geen adressen bij dit perceel
1.645 m2 - 640 m
Eigenaar opvragen
KPE00-C-4649 (Knijpe)
- Geen postcode aanwezig
B7fZPxWbtZ0tBdOGgwm6FlFUpgrade naar KadastraleKaart Pro
Bekijk op Street View
Download DWG/DXF/Excel
qR y TZWpIs1 O6a NVdKUpgrade naar KadastraleKaart Pro
IhwNUMeRor0OlfAQUpgrade naar KadastraleKaart Pro
LlCFz 3P2 sh7Ye2Upgrade naar KadastraleKaart Pro
zDLpf6k2Upgrade naar KadastraleKaart Pro
eENpZj9W jSkGObFUpgrade naar KadastraleKaart Pro
sdJRJeRbSUpgrade naar KadastraleKaart Pro
9T nUHBxd1TzK0v8o6Upgrade naar KadastraleKaart Pro
LPqXet2e6PUpgrade naar KadastraleKaart Pro
mqAtfI5IzToku5JI7KUpgrade naar KadastraleKaart Pro
s vNy6muUpgrade naar KadastraleKaart Pro
18/03/2026

Percelen
Gebruik de zoekbalk of klik op een perceel om informatie over het perceel te bekijken.