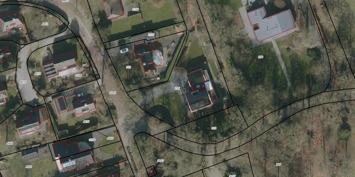
Perceel: KPE00-E-235
KadastraleKaart.com kan meer dan je denktOntdek meer ›
Filter op bestemming 50+ datasets Eigendomsdata in één klik Percelen CRM
2.050 m2 - 243 m
Eigenaar opvragen
KPE00-E-235 (Knijpe)
- 8453 XD
gqfmlQqAF8nnKLWPU Upgrade naar KadastraleKaart Pro
Verkoopprijs opvragen
Bekijk op Street View
Download DWG/DXF/Excel
nFtrrtV HzF7Zw pzPUpgrade naar KadastraleKaart Pro
tIB36rwQJ2ClzMbNHLFBUpgrade naar KadastraleKaart Pro
xIC3u1Ze4Upgrade naar KadastraleKaart Pro
L4qs7Re iUpgrade naar KadastraleKaart Pro
zJHzMc76E3T7Upgrade naar KadastraleKaart Pro
0wWciqvEaUpgrade naar KadastraleKaart Pro
gaNNkVjxm3 Upgrade naar KadastraleKaart Pro
4vpJSHkPdUpgrade naar KadastraleKaart Pro
foMeWmPz rTT8ecxYLSUpgrade naar KadastraleKaart Pro
jiDJCbMmXkBUpgrade naar KadastraleKaart Pro
02/03/2018

Percelen
Gebruik de zoekbalk of klik op een perceel om informatie over het perceel te bekijken.