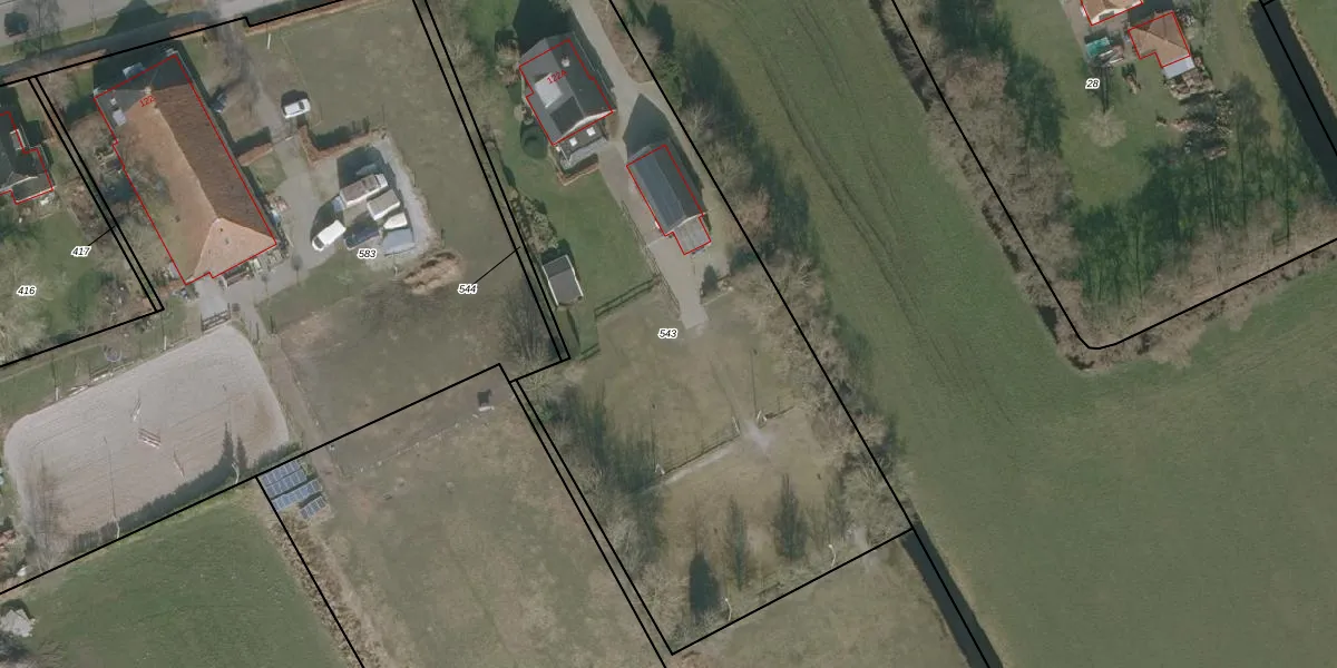
Perceel: KPE00-E-543
KadastraleKaart.com kan meer dan je denktOntdek meer ›
Filter op bestemming 50+ datasets Eigendomsdata in één klik Percelen CRM
3.500 m2 - 283 m
Eigenaar opvragen
KPE00-E-543 (Knijpe)
- 8448 GM
obxCm9puG7ikoRr84oSRiRUpgrade naar KadastraleKaart Pro
Verkoopprijs opvragen
Bekijk op Street View
Download DWG/DXF/Excel
GSdSK0cgqGJrxt8XMBUpgrade naar KadastraleKaart Pro
xkd02P8pJ4QPzG4rnGpUpgrade naar KadastraleKaart Pro
e8Om2U7 14eN8Upgrade naar KadastraleKaart Pro
RgHPGC0soy 2 Upgrade naar KadastraleKaart Pro
S4vwaXrmwxhUpgrade naar KadastraleKaart Pro
cjI q1x4Upgrade naar KadastraleKaart Pro
PijuoauNkcUpgrade naar KadastraleKaart Pro
rHkVn1InF37nUwF8 Upgrade naar KadastraleKaart Pro
C8YKLo9 7dKhUxFMmsRUpgrade naar KadastraleKaart Pro
A1Ozu7xu lzGGj9Upgrade naar KadastraleKaart Pro
20/01/2010

Percelen
Gebruik de zoekbalk of klik op een perceel om informatie over het perceel te bekijken.