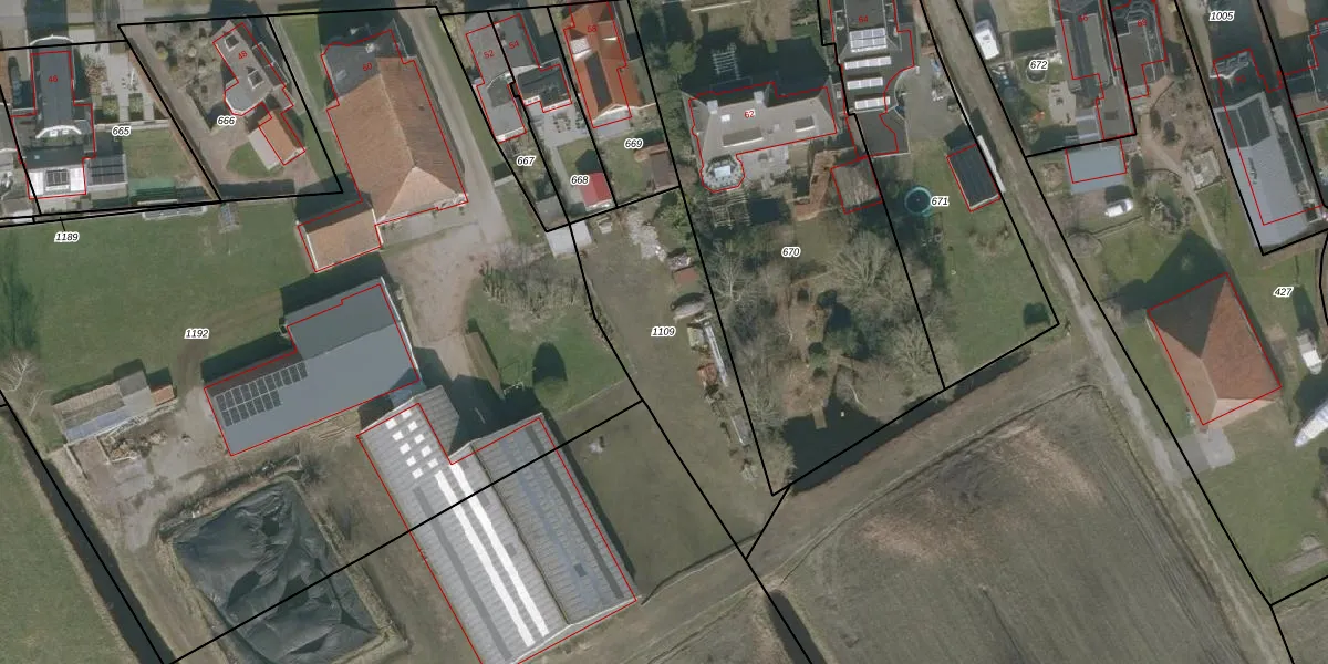
Perceel: KPE00-F-1109
KadastraleKaart.com kan meer dan je denktOntdek meer ›
Filter op bestemming 50+ datasets Eigendomsdata in één klik Percelen CRM
Geen adressen bij dit perceel
775 m2 - 140 m
Eigenaar opvragen
KPE00-F-1109 (Knijpe)
- Geen postcode aanwezig
TzoyKS0Fb5HLg Zuf3Upgrade naar KadastraleKaart Pro
Bekijk op Street View
Download DWG/DXF/Excel
jrsO dds3FrQ cI6 OKUpgrade naar KadastraleKaart Pro
IGNR1Tc8YsMbAUpgrade naar KadastraleKaart Pro
xDYsNtm1PUpgrade naar KadastraleKaart Pro
JN 8 CiDb2yy Upgrade naar KadastraleKaart Pro
xiVfrDmm7wp4fOkihJUpgrade naar KadastraleKaart Pro
Y IlpW NtqV2vxo7mGP 3nUpgrade naar KadastraleKaart Pro
5wS s N LQ7dvbKWK31v6nfUpgrade naar KadastraleKaart Pro
aAIsaF vJ8sR7RoTPUpgrade naar KadastraleKaart Pro
8EL4Lgmtj3 P3Upgrade naar KadastraleKaart Pro
D2OIfP2rr KB0fUpgrade naar KadastraleKaart Pro
30/10/2008

Percelen
Gebruik de zoekbalk of klik op een perceel om informatie over het perceel te bekijken.