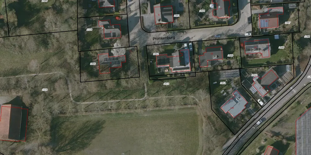
Perceel: KPL01-F-1613
Geen adressen bij dit perceel
75 m2 - 64 m
Eigenaar opvragen
KPL01-F-1613 (Kapelle)
- Geen postcode aanwezig
oh5c0ozfbPLCcOJNJhyC9dO3Upgrade naar KadastraleKaart Pro
Bekijk op Street View
Download DWG/DXF/Excel
E KUJExc8flfoUaJYu0fTUpgrade naar KadastraleKaart Pro
retFVR rA h dD8xhJUpgrade naar KadastraleKaart Pro
khWME08w1TGbTvUpgrade naar KadastraleKaart Pro
VxWLMHG2VWOxfVES rDjHKUpgrade naar KadastraleKaart Pro
AxhEwoc S5 2OUpgrade naar KadastraleKaart Pro
MWk0d QHxkca6CUpgrade naar KadastraleKaart Pro
m0A qTkAu7N SUpgrade naar KadastraleKaart Pro
NOL sRvgklhAZS143Upgrade naar KadastraleKaart Pro
QqRdBniyg2Upgrade naar KadastraleKaart Pro
6POg UUpgrade naar KadastraleKaart Pro
26/09/2000

Percelen
Gebruik de zoekbalk of klik op een perceel om informatie over het perceel te bekijken.