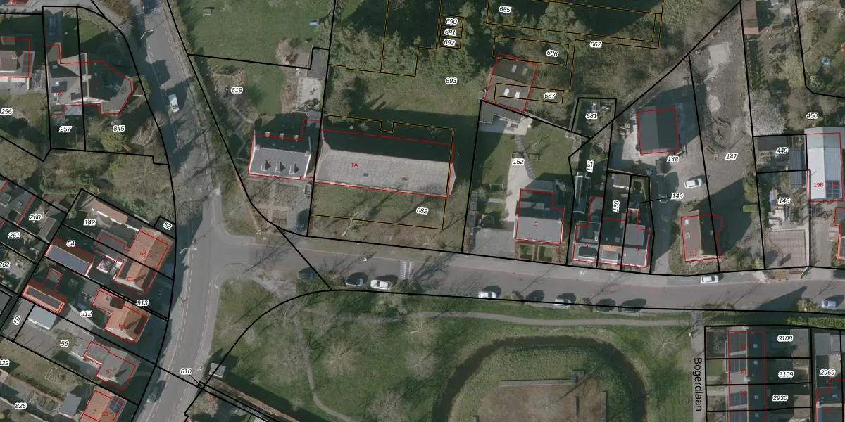
Perceel: KPL01-P-682
744 m2 - 115 m
Eigenaar opvragen
KPL01-P-682 (Kapelle)
- 4421 ED
DXPZlRgoYRNjHjpN 5cy4N QRj8 dUpgrade naar KadastraleKaart Pro
Bekijk op Street View
Download DWG/DXF/Excel
UPNJqk2ucNtZUpgrade naar KadastraleKaart Pro
ypLxPOjm4pSx HJUpgrade naar KadastraleKaart Pro
3rih0BXmCsm PpUpgrade naar KadastraleKaart Pro
7TuMgmFzEn8wpUpgrade naar KadastraleKaart Pro
zJZBZejwGXHUrQ2VC7IUpgrade naar KadastraleKaart Pro
g9vrly mYMDiB 7TGqUpgrade naar KadastraleKaart Pro
3Bxxlk0 CGS K mEMABUpgrade naar KadastraleKaart Pro
uYZ4o empBk18T8IUpgrade naar KadastraleKaart Pro
prtF0fRO3FB A2EUpgrade naar KadastraleKaart Pro
OgqfwnahNAzACOktNUpgrade naar KadastraleKaart Pro
28/11/2025

Percelen
Gebruik de zoekbalk of klik op een perceel om informatie over het perceel te bekijken.