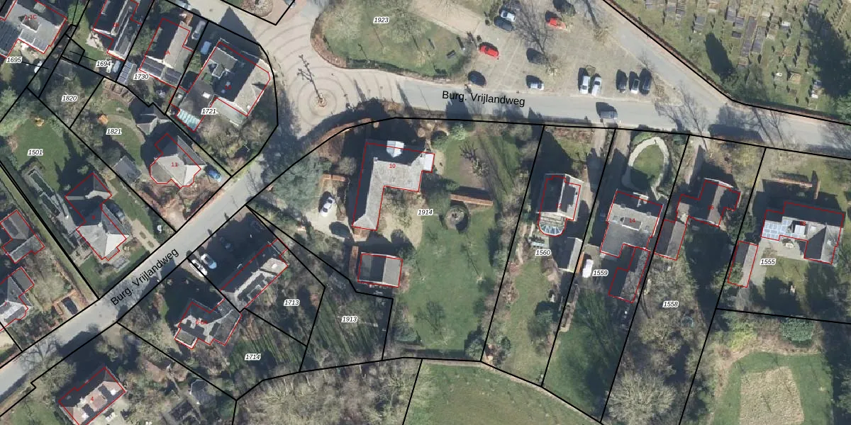
Perceel: KPL02-C-1914
KadastraleKaart.com kan meer dan je denktOntdek meer ›
Filter op bestemming 50+ datasets Eigendomsdata in één klik Percelen CRM
2.482 m2 - 215 m
Eigenaar opvragen
KPL02-C-1914 (Keppel)
- 6997 AC
2YWkgUsRqDm O XeReHVxj bz192Upgrade naar KadastraleKaart Pro
Verkoopprijs opvragen
Bekijk op Street View
Download DWG/DXF/Excel
0 X7 VqaYTCUpgrade naar KadastraleKaart Pro
4h nwNw39oE Ykn3hfHT4jUpgrade naar KadastraleKaart Pro
46U4kJnfr3bOgDbUpgrade naar KadastraleKaart Pro
qRSAESwyKexUpgrade naar KadastraleKaart Pro
P7 hCL oGcN5iSoV0UgsUpgrade naar KadastraleKaart Pro
EhZUl3goQEWnjRjsufBxgWaUpgrade naar KadastraleKaart Pro
rHIcSVoPoaNcUpgrade naar KadastraleKaart Pro
StMtLv16E4J6wMC4EGQ26Upgrade naar KadastraleKaart Pro
Snyn fL44TI2fuhWIUpgrade naar KadastraleKaart Pro
2pKTAP87IHiXXu8d2OGPDUpgrade naar KadastraleKaart Pro
05/10/2021

Percelen
Gebruik de zoekbalk of klik op een perceel om informatie over het perceel te bekijken.