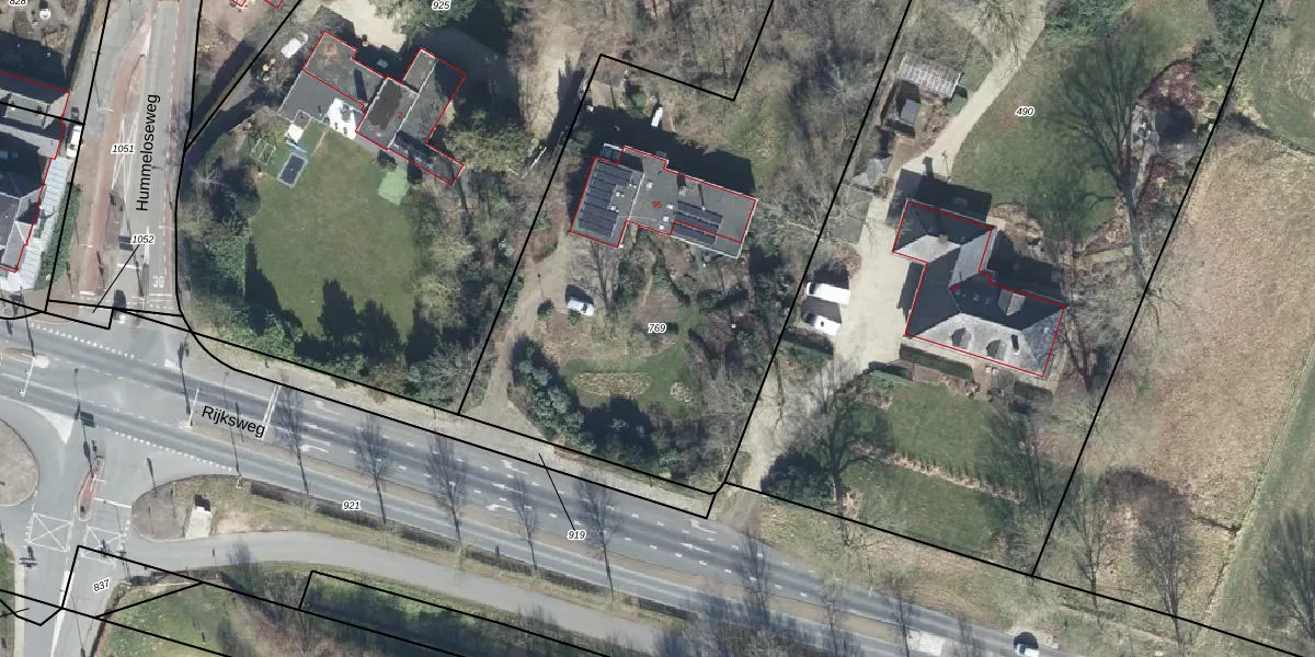
Perceel: KPL02-D-769
KadastraleKaart.com kan meer dan je denktOntdek meer ›
Filter op bestemming 50+ datasets Eigendomsdata in één klik Percelen CRM
3.300 m2 - 284 m
Eigenaar opvragen
KPL02-D-769 (Keppel)
- 6998 AG
Z31t7GW CpJ1dS080PsKFSdUpgrade naar KadastraleKaart Pro
Verkoopprijs opvragen
Bekijk op Street View
Download DWG/DXF/Excel
o uMgGAbuJFQzY THvJeUpgrade naar KadastraleKaart Pro
D jJ layZ MFUpgrade naar KadastraleKaart Pro
g9W7uR B8Mq 5MdfUpgrade naar KadastraleKaart Pro
gr 9Tn en F 4Upgrade naar KadastraleKaart Pro
oxfY6yTrO vDG0Upgrade naar KadastraleKaart Pro
bPml3GlwfD F1ESHUpgrade naar KadastraleKaart Pro
tVQkY1nd1Bj Upgrade naar KadastraleKaart Pro
yR m0f2X5gP Upgrade naar KadastraleKaart Pro
Tq28m PIR7HSV0Upgrade naar KadastraleKaart Pro
u vFOxKzg0mnLFcIUpgrade naar KadastraleKaart Pro
03/06/2002

Percelen
Gebruik de zoekbalk of klik op een perceel om informatie over het perceel te bekijken.