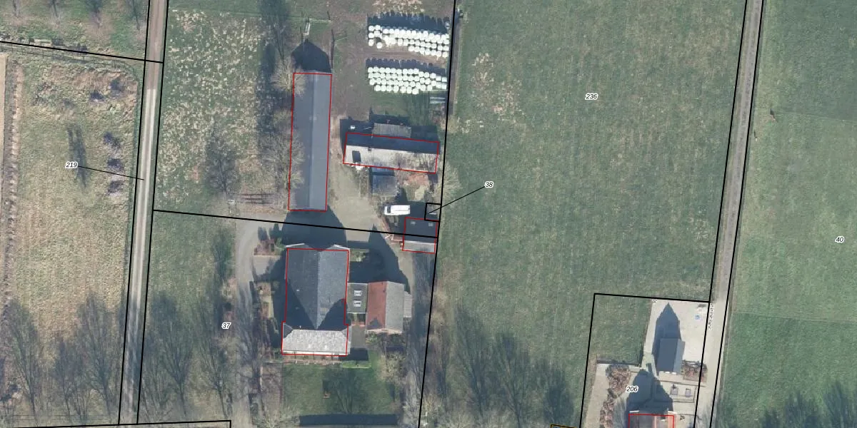
Perceel: KPL02-K-38
KadastraleKaart.com kan meer dan je denktOntdek meer ›
Filter op bestemming 50+ datasets Eigendomsdata in één klik Percelen CRM
Geen adressen bij dit perceel
14 m2 - 15 m
Eigenaar opvragen
KPL02-K-38 (Keppel)
- Geen postcode aanwezig
D3dFlH7MKKsmPpcfhyF1DqUpgrade naar KadastraleKaart Pro
Bekijk op Street View
Download DWG/DXF/Excel
j0sBAkT6FEaQd XqnmVxmCKUpgrade naar KadastraleKaart Pro
hmfJMt vU7Upgrade naar KadastraleKaart Pro
4q7sWQKi7y4Upgrade naar KadastraleKaart Pro
lswyKdiB2upWuLVx48r FUpgrade naar KadastraleKaart Pro
n5hl8GVLHLtYgUpgrade naar KadastraleKaart Pro
rE8TnfCasPIDG7Upgrade naar KadastraleKaart Pro
gnfr l9nTF8Ki7P9ZildCmUpgrade naar KadastraleKaart Pro
xKWH1iTI ZZ9jdy3QBb ohUUpgrade naar KadastraleKaart Pro
hq6KZapbJDG ACDIw8WvR4HUpgrade naar KadastraleKaart Pro
kUgqZua6JW2BSUpgrade naar KadastraleKaart Pro
15/05/2002

Percelen
Gebruik de zoekbalk of klik op een perceel om informatie over het perceel te bekijken.