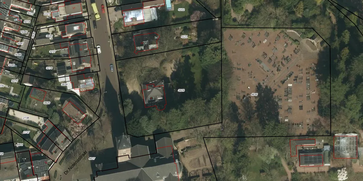
Perceel: KRD00-A-3928
KadastraleKaart.com kan meer dan je denktOntdek meer ›
Filter op bestemming 50+ datasets Eigendomsdata in één klik Percelen CRM
2.430 m2 - 198 m
Eigenaar opvragen
KRD00-A-3928 (Kerkrade)
- 6467 EL
zBuNhwhy D bDeDAxCshc2upzeUpgrade naar KadastraleKaart Pro
Verkoopprijs opvragen
Bekijk op Street View
Download DWG/DXF/Excel
fD0sNsklSdUpgrade naar KadastraleKaart Pro
GTbwxu7Yq faX4ofUpgrade naar KadastraleKaart Pro
OECFnS u aq sRO KW3OUpgrade naar KadastraleKaart Pro
LpHJfAfvb Zn PGE5Upgrade naar KadastraleKaart Pro
0zfTaM95c eHWZsUpgrade naar KadastraleKaart Pro
wdKklUGU8Fgzbm0y5bUpgrade naar KadastraleKaart Pro
0JEzbX2Upgrade naar KadastraleKaart Pro
pg9RWWEB5u1j7Upgrade naar KadastraleKaart Pro
puk2gxW AxUpgrade naar KadastraleKaart Pro
Ns 8x QoPB OC 1aBIngywUpgrade naar KadastraleKaart Pro
02/01/2008

Percelen
Gebruik de zoekbalk of klik op een perceel om informatie over het perceel te bekijken.