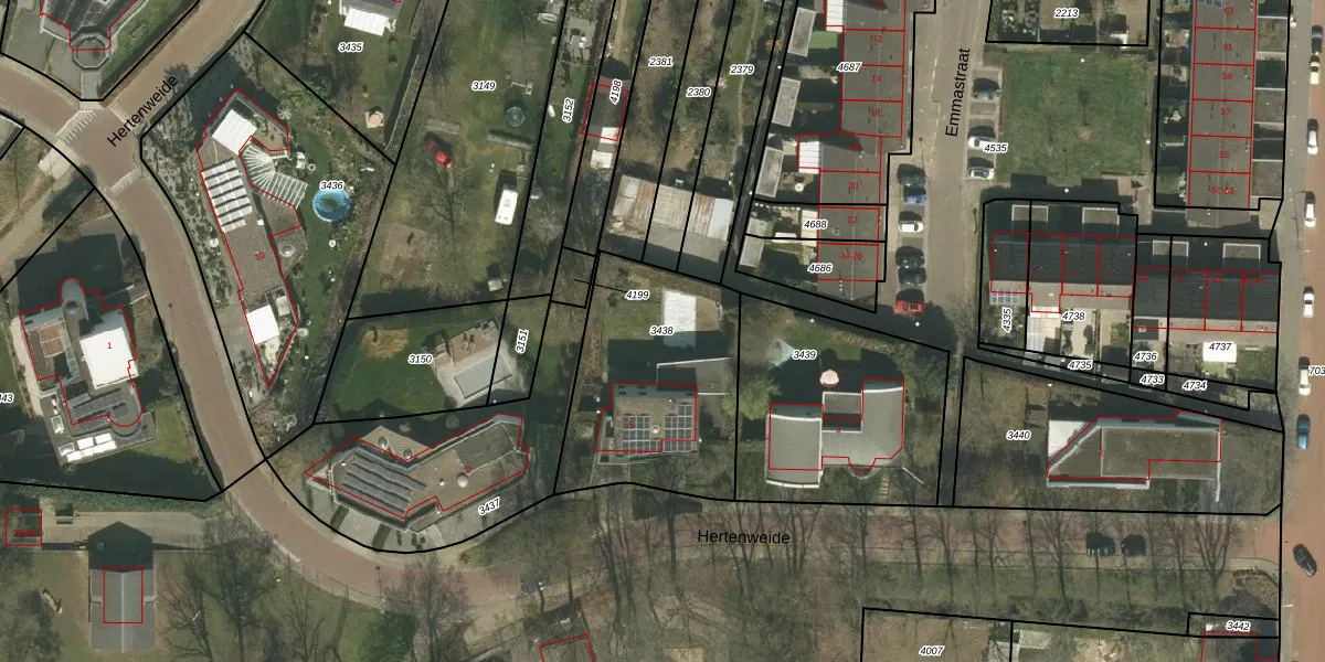
Perceel: KRD00-G-3438

Adres bij perceel

Perceeloppervlakte & perceelomtrek

818 m2 - 119 m

Eigenaar van het perceel

Eigenaar opvragen

Kadastrale aanduiding

KRD00-G-3438 (Kerkrade)

Postcode in perceel

    6463 PA

Type eigenaar

hGnmNl1 wud z1qvkFoUpgrade naar KadastraleKaart Pro

Google Street View

Bekijk op Street View

Download

Download DWG/DXF/Excel

Gerelateerde percelen

g 0 OqTyFjJE1ZwJ6wOwUpgrade naar KadastraleKaart Pro

Bebouwd/onbebouwd/water/groen

q0RcgLrlS9GrwUpgrade naar KadastraleKaart Pro
Administratieve eenheden
Syln52z5Upgrade naar KadastraleKaart Pro

Appartementsrechten

FYt2ybds76mgReVFRYSPUpgrade naar KadastraleKaart Pro

Vergunningverlenende instanties

jhu1sBff6ztNd7 9qyUpgrade naar KadastraleKaart Pro

Bedekking (BGT)

cR4CL1KZ3fiBP 7 Upgrade naar KadastraleKaart Pro

Publiekrechtelijke beperkingen

ZzaACPttLUpgrade naar KadastraleKaart Pro

Grensnauwkeurigheid

U bzyVbwLGFeYYAASc6HdKUpgrade naar KadastraleKaart Pro

Coördinaten hoekpunten perceel

O sY BkjCUpgrade naar KadastraleKaart Pro

Hoogteligging

vWZo4jDEUpgrade naar KadastraleKaart Pro

Laatst gewijzigd

30/11/2007

Kadastrale kaart met maatvoering 59,95
Kadastrale kaart pakket 28,95

Percelen

Gebruik de zoekbalk of klik op een perceel om informatie over het perceel te bekijken.
Locatie
Meten
Lagen
Download