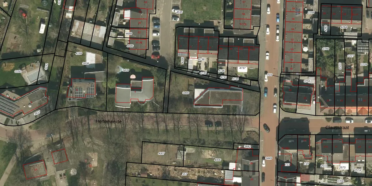
Perceel: KRD00-G-3440
860 m2 - 133 m
Eigenaar opvragen
KRD00-G-3440 (Kerkrade)
- 6463 PA
alSGVfAjlxQFRZBe0ZUpgrade naar KadastraleKaart Pro
Verkoopprijs opvragen
Bekijk op Street View
Download DWG/DXF/Excel
na8X6 3EPxxDT 6Upgrade naar KadastraleKaart Pro
1LaPbHJUpgrade naar KadastraleKaart Pro
AvDhSBNafkUf s5yn TyUpgrade naar KadastraleKaart Pro
RscOAKt6mkVHeM FPK2YUpgrade naar KadastraleKaart Pro
au lh5ZuwHUpgrade naar KadastraleKaart Pro
9lMA5GecRUpgrade naar KadastraleKaart Pro
OixNluKXnpUQUpgrade naar KadastraleKaart Pro
YL82 DVw0MLUpgrade naar KadastraleKaart Pro
ymM8 t8HUxVvUpgrade naar KadastraleKaart Pro
GJRWkBM n3Bi hP6QUpgrade naar KadastraleKaart Pro
30/11/2007

Percelen
Gebruik de zoekbalk of klik op een perceel om informatie over het perceel te bekijken.