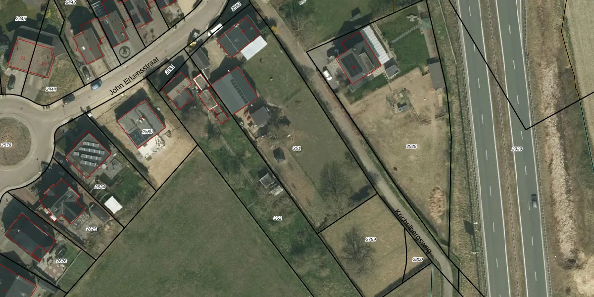
Perceel: KRD00-H-351
KadastraleKaart.com kan meer dan je denktOntdek meer ›
Filter op bestemming 50+ datasets Eigendomsdata in één klik Percelen CRM
1.980 m2 - 202 m
Eigenaar opvragen
KRD00-H-351 (Kerkrade)
- 6466 AP
nfQdWkgCtnNXde8iCnilKkb4 Upgrade naar KadastraleKaart Pro
Bekijk op Street View
Download DWG/DXF/Excel
mR5ZJd26QIspVUpgrade naar KadastraleKaart Pro
MqNZ9K 2WzHUpgrade naar KadastraleKaart Pro
4PD7gVJFIy4V kT N6QHv7Upgrade naar KadastraleKaart Pro
oe iB8vQU 1nih5tVw MfBTUpgrade naar KadastraleKaart Pro
5p1ZOVNa5X8A2U8Upgrade naar KadastraleKaart Pro
OGjVhF6WaXbUpgrade naar KadastraleKaart Pro
0jGL0 Fe dk8xUpgrade naar KadastraleKaart Pro
Najhns4EmkLlcLnVkMBVUpgrade naar KadastraleKaart Pro
1lxjvNkwwAUpgrade naar KadastraleKaart Pro
Hk b1sp Wj KlcIfYUpgrade naar KadastraleKaart Pro
04/04/2011

Percelen
Gebruik de zoekbalk of klik op een perceel om informatie over het perceel te bekijken.